Gå til hovedinnhold

Kartlegging av biotoper og sårbare habitater i Nordsjøen og Skagerrak

— Foreløpige resultater fra syv tokt i Mareano

Sammendrag

Rapporten presenterer foreløpige resultater fra Mareanos kartlegging av biotoper og sårbare habitater i Nordsjøen og Skagerrak, basert på feltregistreringer fra syv tokt i perioden 2022–2025 med FF G.O. Sars og FF Kronprins Haakon. Kartleggingen dekker prioriterte områder knyttet til havvindplanlegging, vurdering av foreslåtte SVO-områder (svært verdifulle og sårbare områder) i Norskerenna og oppfølging av forpliktelser om bevaring av sårbare marine økosystemer (VME). Totalt ble 552 videostasjoner undersøkt på 40–700 m dyp. Analysene omfatter 523 stasjoner innenfor Mareanos kartleggingsområder. Videodata fra ca. 200 m lange transekter ble analysert ved hjelp av DCA og TWINSPAN, og resulterte i tolv biotopgrupper som reflekterer gradienter i dyp, substrat og forekomst av habitatdannende arter. De mest artsrike biotopene forekommer i kystnære og mellomdype områder med komplekst substrat, mens dypere deler av Skagerrak og Norskerenna domineres av slamrike sedimenter og sjøfjærsamfunn. Totalt ble 472 taxa registrert, med høyest artsmangfold mellom 100 og 250 m. Sårbare habitater ble registrert på 30 % av stasjonene. Sjøfjærsamfunn var den mest utbredte habitattypen og forekom særlig i dype sedimentområder i Skagerrak og Norskerenna, dominert av Funiculina quadrangularis og Kophobelemnon stelliferum. Svampsamfunn utgjorde den nest viktigste gruppen av sårbare habitater og omfattet både svampskog i hardbunnsområder og svampspikelbunn i mer slamrike miljøer i mellomdyp sone, særlig i Kystbelte Utsira. Bløtbunnskorallskog (Isidella lofotensis), begerkorallsamfunn (Flabellum macandrewi) og O-skjellbanker (Modiolus modiolus) ble registrert på få lokaliteter og fremstår som mer fragmentert utbredt enn sjøfjær- og svampsamfunn. Flere av biotopene identifisert i analysene er karakterisert av indikatorarter for sårbare habitater, men sammenhengen mellom biotoper og VME-typer er ikke entydig. Enkelte VME-typer forekommer i flere biotoper, og enkelte biotoper inneholder flere ulike VME-elementer. Dette reflekterer at biotopene beskriver helhetlige faunasamfunn langs miljøgradienter, mens VME-klassifiseringen er basert på forekomst og tetthet av bestemte strukturdannende arter. Det må imidlertid understrekes at Mareanos kartlegging så langt kun omfatter deler av Nordsjøen og Skagerrak. Sammenstilt med tidligere undersøkelser av sjøfjær og Isidella i tilgrensende områder, er det grunn til å anta at flere forekomster av sårbare habitater finnes i områder som ennå ikke er kartlagt. Resultatene viser en tydelig dybde- og substratavhengig fordeling av sårbare habitater. Samtidig opptrer mange indikatorarter i lave tettheter som ikke alltid tilfredsstiller operasjonelle terskelverdier for habitatklassifisering, noe som illustrerer metodiske utfordringer ved bruk av faste kriterier. Menneskelig påvirkning ble dokumentert gjennom registrering av trålspor, marint avfall og mekanisk skadede kolonier av habitatdannende arter. Trålspor var hyppigst i Norskerenna og Ytre Oslofjord, og overlapp med skadde sjøfjær indikerer fysisk påvirkning på sårbare habitater i enkelte områder, spesielt i Ytre Oslofjord. Resultatene gir et oppdatert kunnskapsgrunnlag for marin arealforvaltning i Nordsjøen og Skagerrak, men er basert på foreløpige feltannoteringer. Videre analyser vil gi et mer presist bilde av artsmangfold og samfunnsstruktur.

1 - Innledning

Mareano-programmet ble etablert i 2005 for å kartlegge dybde, bunnforhold, biologisk mangfold og forurensning av havbunnen i norske havområder. Programmet er et samarbeid mellom Havforskningsinstituttet, Norges geologiske undersøkelse og Kartverket, og leverer kunnskap som er sentral for økosystembasert forvaltning av havområdene (Mareano.no; Buhl-Mortensen et al. 2015a; 2015b; Gonzalez-Mirelis et al. 2015; Marques et al 2024). Data fra Mareano brukes blant annet i arbeidet med de helhetlige forvaltningsplanene for norske havområder, og i vurderinger av særlig verdifulle og sårbare områder (SVO) (Eriksen et al. 2021).

Kartleggingen av Nordsjøen og Skagerrak har siden 2022 vært prioritert på bakgrunn av flere aktuelle forvaltningsbehov. Det er behov for basiskunnskap om havbunnen i områder som er aktuelle for utbygging av havvind, der både fysiske og biologiske forhold må inngå i konsekvensutredninger og arealplanlegging. Videre er det behov for mer detaljert kunnskap om foreslåtte SVO-områder, særlig i Norskerenna, som er et kjerneområde for dypvannsfauna og økologiske nøkkelfunksjoner (Eriksen et al. 2021). Tidligere undersøkelser har dokumentert omfattende forekomster av sjøfjærsamfunn og bambuskorallskog i Skagerrak og Norskerenna (Buhl-Mortensen et al. 2023). I tillegg har områdene i Nordsjøen en sentral rolle for flere marine ressurser (Eriksen et al. 2021). Deler av Nordsjøen og Skagerrak er viktige gytefelt for tobis (Ammodytes marinus), en nøkkelart i økosystemet og en viktig ressurs for sjøfugl og andre fiskebestander. Områdene er også viktige for gyte- og oppvekstområder for kommersielt viktige bestander, inkludert torsk (Gadus morhua), hyse (Melanogrammus aeglefinus) og sild (Clupea harengus). Kunnskap om habitatforholdene i disse områdene er derfor nødvendig både for å sikre bevaring av økologiske funksjoner og for en bærekraftig forvaltning av fiskeressursene med stor økonomisk verdi.

Sentrale deler av kartleggingen omfatter identifisering og avgrensning av sårbare marine økosystemer (Vulnerable Marine Ecosystems, VME). Begrepet VME er utviklet og operasjonalisert gjennom internasjonale rammeverk, særlig av Food and Agriculture Organization (FAO 2009) og OSPAR Commission (OSPAR 2008). Selv om definisjonene varierer noe i form og formål, har de betydelig overlapp når det gjelder hvilke artsgrupper som anses som indikatorer på sårbarhet. Felles kriterier omfatter forekomst av habitatdannende og langsomt voksende arter, høy strukturell kompleksitet, lav motstandsdyktighet mot fysisk påvirkning og begrenset reetableringsevne. Typiske VME-indikatorer inkluderer kaldtvannskoraller (Scleractinia og Gorgonacea), svampsamfunn, sjøfjær (Pennatulacea), og O-skjellbanker. Fordelingen av flere av disse artene i Nord-Atlanteren er nært knyttet til batymetri og hydrografiske forhold (Buhl-Mortensen et al. 2015). I denne rapporten benyttes en operasjonell tilnærming til VME-begrepet der overordnede habitatklasser (for eksempel korallskog og svampsamfunn) deles inn i undertyper basert på dominerende indikatorarter og substratforhold. Denne inndelingen gjør det mulig å skille mellom økologisk ulike samfunn innenfor samme hovedkategori, samtidig som klassifiseringen er forankret i internasjonale kriterier.

VME-rammeverket utvikles kontinuerlig i takt med ny kunnskap. Nye arter og organismegrupper vurderes jevnlig som potensielle indikatorer på sårbare økosystemer. Et eksempel er sylindersjøroser (Cerianthidae), som er foreslått som VME-indikatorer i NAFO-området basert på kriterier om tetthet, habitatdannende funksjon og sårbarhet for fysisk forstyrrelse (Murillo et al. 2011). I denne rapporten er forekomster av sylindersjøroser vurdert i lys av disse kriteriene og inkludert som en egen undertype der tetthetskrav er oppfylt.

Denne rapporten presenterer foreløpige resultater fra syv tokt gjennomført i perioden 2022–2025 med forskningsfartøyene G.O. Sars og Kronprins Haakon. Materialet består av videodata fra 552 lokaliteter på dyp mellom 40 og 700 meter i Nordsjøen og Skagerrak. Observasjonene er analysert med ordinasjons- og klassifikasjonsmetoder for å identifisere biotoper og kartfeste forekomster av sårbare habitater. Resultatene gir et første regionalt overblikk over biotopmønstre og VME-forekomster, men er basert på foreløpige feltannoteringer og videodata alene. Videre bearbeiding, inkludert mer detaljert artsidentifikasjon og integrering av prøvetakingsdata, vil gi et mer presist bilde av samfunnsstruktur, habitatutbredelse og økologiske sammenhenger. Rapporten må derfor sees som et første kunnskapsgrunnlag som vil bli videreutviklet i kommende analyser og publikasjoner.

2 - Materiale og metode

2.1 - Undersøkelsesområder

Kartleggingen omfatter utvalgte deler av Nordsjøen og Skagerrak, med hovedvekt på områder identifisert som aktuelle for utbygging av havvind (Nordsjøplatået og nordlig del av Norskerenna) samt områder foreslått som SVO (Norskerenna, Skagerrak–Ytre Oslofjord/NS4 og kystbelter i Skagerrak og Nordsjøen). Områdene representerer ulike naturgeografiske og oseanografiske forhold og dekker både grunne, vindpåvirkede platåområder og dype bassenger med mer stabile miljøforhold. Samlet utgjør de viktige leveområder for en rekke bentiske samfunn. Skagerrak er karakterisert av store dybdeforskjeller, der Norskerenna danner et dypt basseng med relativt stabile hydrografiske forhold sammenlignet med de grunnere områdene mot Danmark og i Kattegat. I de sørlige og grunne delene av Nordsjøen (<50 m) er sirkulasjonen i større grad vinddrevet, med en dominerende transport mot nord og øst.

Vannmassene i regionen består av en dynamisk blanding av atlantisk vann, kystvann og ferskvannspåvirkede vannmasser fra Østersjøen og store skandinaviske elver. Atlantisk vann strømmer inn i Nordsjøen fra nord og vest og følger i stor grad Norskerenna inn i Skagerrak på dypere nivåer (>100 m). I Skagerrak møter dette vannet lettere og mindre saltholdige overflatevannmasser fra Kattegat og Østersjøen, tilført ferskvann fra blant annet Glomma, Göta älv og Drammenselva. Tetthetsforskjeller fører til en lagdeling der brakkere vann ligger over det saltere atlantiske vannet. Samspillet mellom atlantisk vann og ferskvannstilførsel danner Den norske kyststrømmen, som transporterer ferskvannspåvirket kystvann nordover langs norskekysten. Kystvannet har lavere og mer variabel saltholdighet og større sesongmessige temperatursvingninger enn det underliggende atlantiske vannet. Denne kombinasjonen av topografi, vannmasseutveksling og ferskvannstilførsel skaper tydelige miljøgradienter i temperatur og saltholdighet, som er sentrale for fordelingen av arter og habitater i undersøkelsesområdet.

Nordsjøplatået Fra dette området dekker Mareanos kartlegging områdene Sørvest F, NSJ-1 og NSJ-2 (Figur 1). Området består i hovedsak av grunne områder (<200 m) dominert av sand- og grusbunn, avbrutt av partier med bløtbunn og enkelte topografiske strukturer som sandbølger og banker. Store deler av platået var eksponert over havflaten under tidligere istider, og er formet av en kombinasjon av marin sedimentasjon, erosjon og istidsrelaterte prosesser. Dette har skapt en variert bunnmorfologi som fungerer som viktige leveområder for en rekke arter, inkludert fiskebestander med stor økologisk og økonomisk betydning.

Norskerenna omfatter i denne rapporten delområdene kalt Norskerenna, Utsira Nord og Vestavind B (Figur 1). Norskerenna er en markert, dyp renne som strekker seg fra Skagerrak, langs norskekysten, og nordover til Norskehavet. Den ble i stor grad dannet gjennom erosjon fra ismassene under istidene, og har dyp ned mot 700 m. Området kjennetegnes av et karakteristisk dypvannsfauna-samfunn, og tidligere undersøkelser har dokumentert forekomster av sårbare habitater, inkludert sjøfjærsamfunn og bambuskorallskog.

Skagerrak omfatter i denne rapporten delområdene kalt Skagerrak og Ytre Oslofjord (NS4). Skagerrak dekker også de østlige og dypeste deler av Norskerenna med dyp ned til 725 m. Ytre Oslofjord dekker et stort dybdespenn fra kystnære områder med blandede bunnforhold til dypere deler hvor Norskerenna møter den ytterste delen av Oslofjorden, med kupert bunn ofte med eksponert fjell.

Kystbelte-områder Flere kystnære områder med kystbelte Skagerrak (KB Skagerrak) i øst, kystbelte Jæren (KB Jæren) fra Farsund til Egersund, og kystbelte Utsira fra vest av Stavanger til vest av Utsira (Figur1) dekker store dybdegradienter og variert bunnforhold.

2.2 - Feltarbeid og innsamlingsmetoder

Datainnsamlingen ble gjennomført på syv tokt med forskningsfartøyene G.O. Sars og Kronprins Haakon i perioden 2022 til 2025. Totalt ble 552 lokaliteter undersøkt, på dyp mellom 40 og 700 m (Figur 1). Under perioder med dårlig vær i åpne havområder ble tiden benyttet til undersøkelser i mer beskyttede fjordområder (bl.a. Boknafjorden, Fedafjorden, Hardangerfjorden og Oslofjorden). Disse stasjonene ligger utenfor Mareanos prioriterte kartleggingsområder og er derfor ekskludert fra videre analyser av biologiske samfunn og biotoper i denne rapporten. Kartet nedenfor (Figur 1) gir en oversikt over hvilke delområder som inngår i rapporten og danner grunnlaget for den regionale tolkningen av biotopmønstre.

På en tiendedel av stasjonene ble det i tillegg til videofilming også tatt bunnprøver med ulike redskaper. Disse stasjonene klassifiseres som fullstasjoner (FS). Resten av stasjonene er rene videostasjoner (VL), hvor bare visuell dokumentasjon av bunnen ble gjennomført.

Prøvetaking på fullstasjonene omfattet bruk av:

  • Grabb

  • Boxcorer

  • Multicorer

  • Bomtrål

  • RP-slede

De syv toktene til Nordsjøen/Skagerrak utgjør til sammen 80 toktdøgn hvor 552 videolinjer (VL) ble inspisert og filmet og 57 lokaliteter (FS = fullstasjoner) ble prøvetatt med ulike redskaper (Tabell 1).

Toktnr. Fartøy Toktleder Start dato Slutt dato Ant VL Ant FS
2022118 G.O. Sars Genoveva Gonzalez-Mirelis 14.10.22 29.10.22 78 8
2023001005 G.O. Sars Rebecca Ross 30.03.23 12.04.23 113 9
2023001009 G.O. Sars Pål Buhl-Mortensen 03.07.23 14.07.23 64 13
2023001014 G.O. Sars Kyrre Heldal Kartveit 08.10.23 14.10.23 21 2
202400703 Kronprins Haakon Kyrre Heldal Kartveit 08.03.24 19.03.24 84 6
2024001021 G.O. Sars Hilde Elise Heldal 22.11.24 03.12.24 51 10
2025001009 G.O. Sars Genoveva Gonzalez-Mirelis 20.06.25 03.07.25 141 9
        Sum 552 57
Tabell 1. Oversikt over Mareano-tokt i Nordsjøen/Skagerrak.

En oversikt over hvilke stasjoner som ble prøvetatt, og hvilke redskaper som ble benyttet på hver enkelt stasjon, er gitt i Appendiks 1 . Denne rapporten beskriver ikke innholdet i prøvene, men viser til andre Mareano-publikasjoner for detaljert behandling av fullstasjonsdata (Gonzalez-Mirelis G 2022; 2026, Kartveit et al. 2023, Ross et al. 2023, Buhl-Mortensen et al. 2024, Kartveit et al. 2024). Analysene i denne rapporten baserer seg utelukkende på resultatene fra videoregistreringene.

Kart over Nordsjøen og Skagerrak som viser inndelingen i geografiske områder brukt i rapporten og plasseringen av videostasjoner. Åpne sirkler er videostasjoner som ligger innefor Mareanos prioriterte kartleggingsområder. Sorte punkt er stasjoner utenfor Mareanos kartleggingsområde, som ikke er tatt med i ordinasjonsanalyser. Figur 1. Kart over Nordsjøen og Skagerrak som viser inndelingen i geografiske områder brukt i rapporten og plasseringen av videostasjoner. Sorte punkt er stasjoner utenfor Mareanos kartleggingsområde, som ikke er tatt med i ordinasjonsanalyser.

Havbunnen ble filmet ved hjelp av videoriggen Chimaera og ROVene Freya og Ægir 6000. Disse videoplattformene er utstyrt med høyoppløselige videokamera, lys og posisjoneringssystemer som muliggjør presis dokumentasjon av bunntyper og bunnfauna. Videoopptakene utgjør grunnlaget for identifikasjon av biotoper og registrering av sårbare habitater (VME-er).

2.3 - Annotering av havbunnsobservasjoner i felt

Hver videostasjon består av et ca. 200 m langt videotransekt, filmet med jevn fart og en høyde på omtrent 1,5 meter over havbunnen. Feltobservasjonene ble annotert (registrert med en rekke metadata koblet til hver observasjon) i sanntid ved hjelp av programvarene Campodlogger og Seabed FieldObserver (SFO). Disse verktøyene kobler annoteringer av arter, habitattyper og substrat direkte til metadata fra GPS, ekkolodd og undervannsposisjonering.

Bunntypene ble registrert i felt av geologer fra NGU, etter et klassifikasjonssystem med 19 bunntyper (Tabell 2). Den relative forekomsten av hver bunntype ble beregnet som prosentandel av observasjonene langs transektene.

Norsk navn Engelsk navn
Slam Mud
Sandig slam Sandy mud
Slamholdig sand Muddy sand
Grus- og sandholdig slam Gravelly sandy mud
Grus- og slamholdig sand Gravelly muddy sand
Slam og sand med grus Mud and sand with gravel
Slam- og sandholdig grus Muddy sandy gravel
Slam og sand med grus, stein og blokk Mud and sand with gravel, cobbles and boulders
Fin sand Fine sand
Sand Sand
Grusholdig sand Gravelly sand
Sandholdig grus Sandy gravel
Sand, grus og stein Sand, gravel and cobbles
Sand, grus, stein og blokk Sand, gravel, cobbles and boulders
Sand og blokk Sand and boulders
Grus Gravel
Grus og stein Gravel and cobbles
Grus, stein og blokk Gravel, cobbles and boulders
Bart fjell Exposed bedrock
Tabell 2. Beskrivende navn for de 19 bunntypene som ble registrert i felt av geologer.

Annoteringene i felt blir gjort på et mer overordnet nivå (forekomst av bunntyper og relativ mengde av hovedgrupper av arter og lett gjenkjennelige arter) enn det som er mulig etter tokt hvor videoopptakene kan settes på pause og man har bedre tid til å vurdere hver observasjon. Mer detaljerte analyser, inkludert artsidentifikasjon og kvantitative beregninger, tar lengre tid og blir rapportert senere.

Forekomst av sårbare habitater (VME) ble registrert basert på frekvens-kriterier, der tiden mellom observasjoner av indikatorarter brukes som mål på tetthet. Metoden er spesielt egnet for registrering i felt hvor direkte kvantitative tellinger ikke er praktisk mulig. Frekvensgrensene som benyttes i denne rapporten (Tabell 3) er basert på tidligere analyser av tettheter fra detaljerte videoannoteringer. Forekomsten av hver VME-type ble beregnet som andelen av transektets lengde der habitatet ble observert, etter samme prinsipp som for bunntyper.

Habitatnavn Indikator-arter (en eller flere av disse) Hyppighet (tid mellom hver observasjon)
Svamspikelbunn Geodia, Stelletta, Stryphnus, Aplysilla < 5 sekunder mellom hver observasjon
Svampskog Axinella, Phakellia, Clathria, Porifera branched < 5 sekunder mellom hver observasjon
Kaldtvanns-svampsamfunn Caulophacus, Cladorhiza, Hexactinellida < 10 sekunder mellom hver observasjon
Hardbunns korallskog Paragorgia, Primnoa, Paramuricea, Hornkoraller < 10 sekunder mellom hver observasjon
Bløtbunns korallskog Radicipes, Isidella < 5 sekunder mellom hver observasjon
Blomkålkorallskog Duva, Drifa, Gersemia, Nephtheidae < 5 sekunder mellom hver observasjon
Sjøfjærsamfunn Funiculina, Virgularia, Kophobelemnon, Halipteris, Pennatula, Pennatulacea < 5 sekunder mellom hver observasjon
Sylindersjørosebunn Cerianthus, Pachycerianthus, Ceriantharia < 5 sekunder mellom hver observasjon
Umbellula-samfunn Umbellula < 30 sekunder mellom hver observasjon
Begerkorallsamfunn Flabellum, Fungiacyathus, Scleractinia solitary < 5 sekunder mellom hver observasjon
Tabell 3. Arbeidsdefinisjoner for sårbare habitater ved bruk av videorigg eller ROV, 1 m over bunn og 0,3 knops fart.

I tillegg til registrering av organismer og bunntyper, ble synlige tegn på menneskelig påvirkning dokumentert under feltannoteringen. Dette omfattet både fysisk skade på habitatdannende arter og direkte spor etter menneskelig aktivitet på havbunnen. Kolonier av sjøfjær (Pennatulacea) og hornkoraller (Gorgonacea) som fremstod som brukket, veltet eller tydelig mekanisk skadet, ble telt separat. Antall skadde kolonier ble registrert per transekt og benyttet som en indikator på mulig fysisk påvirkning, særlig fra bunnredskap.

Videre ble trålspor registrert og kvantifisert som antall observerte spor per videotransekt. Forekomst av marint søppel ble også registrert, inkludert type og antall objekter der dette var mulig å identifisere. Registreringene av trålspor, skadde kolonier og marint søppel inngår samlet som indikatorer på menneskelig påvirkning.

Metoder for feltannotering, etterarbeid, analyser og habitatmodellering er nærmere beskrevet i tidligere publikasjoner og rapporter (se Buhl-Mortensen et al. 2020, 2024a, 2024b)

2.4 - Databehandling og analyser

Etter feltarbeidet ble alle videoannotasjoner gjennomgått, kvalitetssikret og strukturert for videre analyser. Dataene ble delt inn i to matriser: en artsmatrise og en miljømatrise. Stasjoner utenfor Mareanos kartleggingsområder ble ekskludert. I artsmatrisen ble kun arter som forekom på mer enn fire stasjoner inkludert, og kun stasjoner med flere enn fire arter ble inkludert. Dette gav en endelig artsmatrise med 523 stasjoner og 222 arter/taxa. Miljømatrisen inneholdt 51 variabler: fire kategoriske variabler (toktnummer, geografisk område, dominerende bunntype, og VME-type). Miljømatrisen ble brukt som støttevariabler i DCA- og TWINSPAN-analyser, samt som grunnlag for å tolke gradientstrukturer og gruppedifferensiering.

Resultatene fra feltannoteringene ble analysert for å identifisere mønstre i arts- og habitatfordeling. To komplementære multivariate metoder ble benyttet:

  • DCA (Detrended Correspondence Analysis) (Hill & Gauch 1980), som gir en oversikt over gradienter i artsdata.

  • TWINSPAN (Two-Way Indicator Species Analysis) (Hill 1979), som benyttes til å klassifisere stasjoner i grupper basert på forekomst av indikatorarter og habitattyper.

TWINSPAN er en hierarkisk, divisjonsbasert metode som kombinerer ordinasjon og indikatorartsanalyse. Analysen starter med en ordinering som rangerer stasjonene langs viktigste artsgradient. Basert på denne deles datasettet i to grupper (første divisjon). Hver divisjon identifiserer indikatorarter som karakteriserer gruppene, og prosessen gjentas over flere nivåer. Resultatet er en hierarkisk gruppering av stasjoner som representerer ulike samfunnstyper og habitatmønstre.

Metoden er spesielt nyttig når målet er å skille ut økologiske samfunn, identifisere habitatgradienter og støtte biotopklassifisering. Den er godt egnet for store videobaserte datasett fordi den gir en robust og reproduserbar gruppering selv når artsdataene er ufullstendige eller kategoriske.

3 - Resultater

3.1 - Biomangfold

Totalt ble 472 taxa (arter og høyere taksonomiske nivåer) registrert i videomaterialet fra de syv toktene. Artsmangfoldet viste tydelig variasjon med både dyp og geografisk område. Antall observerte taxa var høyest mellom 100 og 250 m dyp i områder som representerer skråningen ned mot Norskerenna (Figur 2 & 3).

De høyeste artsantallene per stasjon ble registrert i fjordområdene Boknafjorden og Hardangerfjorden, som ligger utenfor Mareanos prioriterte kartleggingsområde, med opptil 77 taxa per stasjon på lokaliteter med korallrev og komplekse hardbunnshabitater.

Innenfor Mareanos kartleggingsområde ble det høyeste artsmangfoldet funnet i kystnære områder som Vestavind B, kystbeltet utenfor Utsira og i deler av Skagerrak, med opptil 56 taxa per stasjon.

I Nordsjøens grunne platåområder, dominert av sand og sandig slam, var artsmangfoldet lavere og mer homogent, med gjennomsnittlige verdier på 19–30 taxa per stasjon. Lokalt, i områder med stabile bunnhabitater som grus og stein på sandbunn, ble det ofte observert høye tettheter av svampskog og Alcyonium-samfunn med høyere artsmangfold. De dypere områdene i Skagerrak og Norskerenna har færre taxa i gjennomsnitt, men dekker viktige sårbare habitater på større dyp. Innenfor disse områdene ble det dokumentert omfattende forekomster av sjøfjærsamfunn, og lokale høye tettheter av begerkoraller, bambuskorallskog og andre sårbare habitater.

De mest dominerende hovedgruppene av bunndyr, observert på mer enn halvparten av stasjonene, var:

  • Asteroidea (sjøstjerner)

  • Pandalidae (reker)

  • Paguridae (eremittkreps)

  • Pleuronectiformes (flyndrer)

  • Munida sp. (trollhummer)

  • Ophiuroidea (slangestjerner)

 

Kart som viser antall taxa observert per videostasjon. Antallet er indikert med størrelse av punktene.
Figur 2. Antall taxa observert per videostasjon.

 

Figuren er et plott med x- og y-akse som representerer henholdsvis antall taxa og dyp i meter. Åpne sirkler indikerer stasjoner som ligger i fjorder og ikke er tatt med i ordinasjonsanalyser (samfunnklassifisering). Figuren viser at det største biomangfoldet ble observert fra ca 100 til 250 m dyp.
Figur 3. Antall observerte taxa versus dyp for alle videostasjoner undersøkt på de syv toktene i Nordsjøen. Åpne sirkler indikerer stasjoner som ligger i fjorder og ikke er tatt med i ordinasjonsanalyser (samfunnklassifisering).

3.2 - Biotopinndeling basert på ordinasjons- og klassifikasjonsanalyser

Ordinasjonsanalysene (DCA) og den hierarkiske klassifikasjonen (TWINSPAN) av 523 videostasjoner og 222 taxa (etter filtrering) identifiserte tydelige mønstre i sammensetningen av bunndyrsamfunn. TWINSPAN-analysen delte datasettet i tolv økologiske grupper (4 grupper ved tredje delingsnivå og 8 ved fjerde delingsnivå). Disse omtales videre som biotoper og presenteres i DCA-plot (Figur 4), kart (Figur 5), og som en sammenfattende tabell med kjennetegn (Tabell 4). Faunamønstrene i ordinasjonsplottet var sterkest korrelert med dyp, breddegrad og relativ mengde sand og slam (r² ≤ –0,54) langs førsteaksen (Figur 4). Dette indikerer at hovedgradienten i datasettet i stor grad reflekterer en kombinert dybde- og geografisk gradient, der de sørlige, grunnere og mer sanddominerte områdene skilles fra de dypere og mer finmaterialedominerte områdene lenger nord. Andreaksen var sterkest korrelert med antall trålspor, relativ mengde sandig grus med stein og blokk (SGCB), samt andel av videotransektene med svampskog-habitat (r² ≥ 0,38). Denne aksen kan tolkes som en gradient knyttet til substrattype og fysisk påvirkning. Hardbunnsområder (høy andel SGCB) og forekomst av svampskog var negativt korrelert med trålspor, noe som indikerer at tråling i hovedsak foregår i bløtbunnsområder og i mindre grad i områder med hardbunn og utviklede svampsamfunn. Samlet viser korrelasjonene at førsteaksen primært representerer en storskala miljøgradient (dyp–geografi–sedimenttype), mens andreaksen i større grad reflekterer variasjon i substrat og menneskelig påvirkning.

 

Figuren viser et ordinasjonsplott, med resultater fra DCA (Detrended Correspondence Analysis) med de 12 biotopgruppene fra TWINSPAN indikert med ulike symboler og farger. Miljøpiler angir hvordan miljøgradienter er koblet til mønsterne og er angitt som røde streker. En pil med forkortningen SGCB angir miljøgradienten med mengde av bunntypen sand, grus stein og blokk.
Figur 4. Plot av DCA (Detrended Correspondence Analysis) med de 12 biotopgruppene fra TWINSPAN indikert med ulike symboler og farger. Miljøpiler er angitt som røde streker. SGCB = Sand, grus stein og blokk.

 

 

Kart over stasjonene med biotopinndeling basert på Twinspan-analyse av resulater fra feltobservasjoner av bunndyr. Biotopene er angitt med punkter i ulike farger
Figur 5. Kart over biotopinndeling (TW-grupper) basert på Twinspan-analyse av resulater fra feltobservasjoner av bunndyr.

 

3.3 - Beskrivelse av biotopgruppene (TWINSPAN-grupper)

De mest artsrike gruppene (gr. 1–4) forekom hovedsakelig i kystnære og mellomdype områder rundt Utsira, Vestavind og Skagerrak, med gjennomsnittlige artsantall på 32–42 taxa. Disse gruppene er preget av sammensatte bunnsubstrater bestående av sand, grus, stein og blokk, samt stedvis innslag av slam. Flere av disse gruppene (gruppe 1 – 3) karakteriseres av svampdominerte samfunn (svampskog) , med typiske arter som Antho dichotoma, Axinella infundibuliformis, Mycale lingua og Phakellia spp. Gruppe 3 skiller seg ut ved å kombinere svamphage med bløtbunnsfauna med innslag av sjøfjær (spesielt Funiculina quadrangularis) og domineres av Bonnelida (skjeormer) og sjøpølsen Mesothuria intestinalis. Gruppe 4, med stasjoner hovedsakelig fra Vestavind F, Utsira nord, og KB-Utsira karakteriseres av bunn med sandig slam dominert av svampene Oceanapia robusta, Thenea sp., og Craniella zetlandica typiske for blandete slike sedimenter, samt sekkedyret Styela sp., og sjøpølsen Mesothuria intestinalis.

Grupper fra større dyp (grupper 5–7), hovedsakelig fra Skagerrak og Norskerenna, på dyp fra ca. 200 til over 500 m, er knyttet til slam- og sandig slam-dominerte sedimenter og kjennetegnes av forekomster av sjøfjær, begerkoraller, bambuskorall (Isidella lofotensis) og svampen Thenea. Typiske indikatorarter inkluderer Funiculina quadrangularis, Asteronyx loveni, Kophobelemnon stelliferum, Atlantopandalus propinqvus og uidentifiserte Pennatulacea (sjøfjær). Gruppe 6 viser særlig høy dominans av sjøfjærarter og representerer et tydelig sjøfjærsamfunn i Norskerenna. Gruppe 8 representerer blandete slamdominerte sedimenter i NS4-området (ytre Oslofjord), med arter som Nephrops norvegicus (sjøkreps) og Echinoidea irregularia (irregulære kråkeboller). Blant stasjonene representert i gruppe 5, 6 og 8 ble det observert områder med høye tettheter av sjøfjær (se kapittel 3.4).

De grunneste samfunnene (gr. 9–12), hovedsakelig fra NSJ-1, NSJ-2 og Sørvest-F, forekommer på dybder mellom 40 og 150 meter og er preget av sand- og grusdominerte substrater . Flere av disse gruppene (gr. 9 og 11) er assosiert med Alcyonium-hager , der dødmannshånd (Alcyonium digitatum ) og annen fastsittende fauna (bl.a. begerkorallen Caryophyllia smithii og skorpedannende rødalger) dominerer. De grunneste gruppene har generelt lavere artsmangfold (15–24 taxa) og karakteriseres også av bevegelige predatorer som sjøstjerner (Asterias rubens, Luidia sarsii), flerbørstemark (Oxydromus flexuosus) og av tobis (Ammodytidae).

Gruppe Område Dyp (intervall) Antall taxa (snitt) VME/Habitat Substrat Karakteristiske arter/taxa
1 KB-Utsira 125 (63-193) 42 Svampskog Sand, grus, stein og blokk Antho dichotoma, Axinella infundibuliformis, Mycale lingua, Phakellia sp.
2 KB-Skagerrak, NS4 140 (39-347) 37 Svampskog Sand, grus, stein og blokk Echinoidea regular, Phakellia ventilabrum, Porifera forgrenet, Stichastrella rosea
3 KB-Utsira 222 (137-275) 35 Svampskog og svampspikelbunn Slam og sand m. grus, stein og blokk Geodia sp., Hymedesmia paupertas, Bonellida , Mesothuria intestinalis
4 Vestavind F, Utsira nord, KB-Utsira 245 (117-318) 32 Thenea Sandig slam Oceanapia robusta, Styela sp., Mesothuria intestinalis, Thenea sp., Craniella zetlandica
5 Skagerrak 528 (215-693) 21 Sjøfjær Slam Craniella sp., Atlantopandalus propinqvus, Munida sarsi, Virgulariidae red, Kophobelemnon stelliferum, Cerianthus lloydii
6 Norskerenna 285 (164-410) 24 Sjøfjær, Flabellum, og Isidella Sandig slam Funiculina quadrangularis, Kophobelemnon stelliferum, Asteronyx loveni, Pennatula phosphorea, Flabellum macandrewi, Isidella lofotensis
7 Norskerenna 204 (73-295) 22   Sandig slam Pandalidae , Spirontocaris sp., Gadiculus argenteus, Myxine glutinosa, Nephrops norvegicus,
8 NS4 170 (71-412) 22 Sjøfjær Blandet finkornet Balticina sp., Nephrops norvegicus, Echinoidea irregular, Trisopterus sp.
9 NSJ-1, NSJ-2, Sørvest-F 63 (40-153) 24 Alcyonium Sand, grus, stein og blokk Caryophyllia smithii, Alcyonium digitatum, Rhodophyta encrusting calcareous, Modiolus modiolus
10 NSJ-1 75 (53-125) 20   Sand Cottidae , Hormathiidae, Ammodytidae, Spatangus sp., Melanogrammus aeglefinus
11 NSJ-2, Sørvest-F 57 (45-73) 15   Sand Aphroditidae, Pleuronectiformes, Asteriidae , Luidia sarsii
12 Sørvest-F 57 (48-63) 19   Sand Astropecten irregularis, Asterias rubens, Oxydromus flexuosus, Limanda limanda
Tabell 4. Oversikt over stasjonsgrupper basert på faunistiske likheter identifisert med Twinspan. Geografiske områder er vist i kart (Figur 1). Dyp er angitt som gjennomsnitt med intervall fra grunneste til dypeste stasjon i gruppen i parentes. Antall taxa (identifisert til art eller høyere taxa) er gitt som gjennomsnitt per stasjon i gruppen. VME/habitat er angitt for grupper hvor habitat er karakterisert av sårbare indikatorarter eller annen karakteristisk megafauna (svampen Thenea og bløtkorallen Alcyonium). Karakteristiske arter er identifisert med Twinspan.

3.4 - Forekomster av sårbare habitater (VME)

En oversikt over observasjoner av indikator-taksa for sårbare habitater er gitt i tabell 5. Totalt ble slike habitater (jfr tabell 3) registrert på 30 % av stasjonene (158 av 523). Forekomsten viser tydelige regionale og dybderelaterte forskjeller.

Sårbare habitater forekom hovedsakelig på stasjoner dypere enn 350 m (Figur 6 & 7), mens de grunne områdene på Nordsjøplatået i mindre grad oppfylte kriteriene. Andelen stasjoner med VME var høyest i Kystbelte Skagerrak (89 %), Kystbelte Jæren (89 %), Utsira Nord (78 %) og i Skagerrak (70 %). Lavest andel ble registrert i NSJ-områdene og Sørvest-F, hvor under 30 % av stasjonene oppfylte kriteriene. Utenfor Mareanos kartleggingsområde hadde Boknafjorden og Hardangerfjorden en relativt høy andel av lokaliteter med sårbare habitater (ca. 50–60 %).

Sjøfjærsamfunn var den klart dominerende VME-typen og preget særlig de dype sedimentområdene (Figur 6 & 9). Gjennomsnittlig forekomst av sjøfjær var høyest i Norskerenna (87 observasjoner per stasjon), Skagerrak (47), Vestavind B (42) og Kystbelte Jæren (36) (Tabell 5). Forekomstene besto hovedsakelig av Funiculina quadrangularis og Kophobelemnon stelliferum . I kontrast var sjøfjær sjeldne i de grunne delene av Nordsjøplatået og i Sørvest-F.

Svampsamfunn viste et annet romlig mønster og omfattet både svampskog i hardbunnsområder og svampspikelbunn i mer slamrike miljøer i mellomdyp sone (særlig i Kystbelte Utsira). Svampskog var særlig konsentrert i hardbunnsområdene i Kystbelte Utsira (27 observasjoner per stasjon), Kystbelte Skagerrak (11) og NS4 (7). Forekomsten av svamp var lav i de dype renneområdene.

Øvrige VME-indikatorarter forekom mer lokalt og i lavere tettheter. Bløtbunnskorallskoger var representert ved Isidella lofotensis (særlig i Kystbelte Jæren, 11 per stasjon) og begerkorallsamfunn med Flabellum macandrewi (særlig i Vestavind B, 12 per stasjon). Sylindersjøroser hadde høyest forekomst i Kystbelte Skagerrak (6) og O-skjellbanker ( Modiolus modiolus ) ble kun observert i grunne NSJ-områder og ble registrert på to lokaliteter.

Samlet viser resultatene en tydelig dybde- og substratavhengig fordeling av VME-indikatorarter: sjøfjær dominerer i dype sedimentmiljøer, svampsamfunn i hardbunnsområder, mens øvrige habitattyper forekommer mer fragmentert og regionavhengig.

  Vestavind B KB Utsira Vestavind F Utsira nord Norskerenna KB Jæren NSJ-1 NSJ-2 Sørvest-F Skagerrak KB Skagerrak NS4 Utenfor Mareano
Antall st 23 78 17 18 79 9 68 37 84 43 32 35 28
Tot ant arter 120 250 98 117 144 102 179 109 149 124 146 140 207
Snitt arter per st 30 32 23 27 23 26 22 18 20 20 27 25 30
Snitt dyp 322 189 267 258 243 290 63 57 58 570 254 169 209
Min dyp 266 37 227 236 123 71 40 36 42 386 80 38 34
Maks dyp 367 276 277 272 333 361 144 81 65 695 462 355 847
Bløtkoraller                          
Alcyonium digitatum         0.01 0.11 14.13 11.81 9.63        
Anthomastus sp.                         0.57
Sum bløtkoraller         0.06 0.11 14.13 11.81 9.63       0.64
Hornkoraller                          
Anthothela grandiflora   0.01                     0.14
Clavularia borealis             0.01           0.18
Paragorgia arborea   0.06                     0.36
Paramuricea placomus   0.01                     1.25
Primnoa resedaeformis   0.09               0.02   0.03  
Isidella lofotensis 0.65 0.09       11.44             0.04
Sum hornkoraller 0.65 0.27       11.44 0.01     0.02   0.03 1.96
Steinkoraller                          
Flabellum macandrewi 11.83       0.04   0.03   0.13        
Lophelia pertusa                         1.43
Sum steinkoraller 12.83       0.04   0.24   0.14       1.43
Sylindersjøroser 0.74 0.13 0.12 0.11 0.77 2.00 0.63 0.46 0.01 1.72 6.13 1.29 8.46
Svampskog                          
Antho dichotoma 0.09 7.18   0.61 0.04 0.11 0.28   0.04   0.31 0.17 4.93
Axinella infundibuliformis   2.44     0.01 0.33 0.16     0.33 0.97 0.89 0.71
Axinellidae   1.19   0.17 0.01 0.11 0.01   0.01 0.05 2.88 1.20 2.25
Phakellia sp. 0.43 4.58   0.28   0.22 0.15     0.28 2.84 1.11 0.54
Phakellia ventilabrum   3.37   0.28   0.22 0.07     0.09 1.00 0.37 4.75
Porifera branched dense   0.86       0.22         2.38 1.91 0.04
Mycale lingua 0.87 7.18 0.24 0.72 0.01   0.01   0.01   0.88 1.71 2.61
Sum svampskog 1.39 26.79 0.24 2.06 0.08 1.22 0.69 0.00 0.06 0.74 11.25 7.37 15.82
Svampspikelbunn                          
Geodia atlantica   0.65   0.11           0.02     1.61
Geodia barretti 0.04 1.10   0.67           1.05 0.34   0.93
Geodia macandrewii   0.29 0.06 0.44                 0.54
Geodia phlegraei   0.10   0.06           0.05     0.36
Geodia sp.   0.56 0.41 0.11           0.21 0.22 0.03 0.89
Hexadella dedritifera 0.04 2.00   0.11     0.25     0.14 0.06 0.40 1.39
Stryphnus ponderosus   0.55               0.05     0.43
Sum svampspikelbunn 0.09 5.27 0.47 1.50     0.25     1.51 0.63 0.43 6.14
Sjøfjær                          
Balticina finmarchica           0.56              
Balticina sp. 0.78 0.05       0.33           5.94  
Funiculina quadrangularis 17.57 6.47 4.29 9.17 22.66 6.22 0.01     2.26 15.75 5.00 5.29
Kophobelemnon stelliferum 16.04 4.63 8.35 12.28 18.97 17.00       23.93 7.31 5.71 1.79
Pennatula phosphorea 0.04 0.13 1.41 4.61 17.22 0.89 0.07       0.75 1.63 0.04
Pennatulacea 7.43 1.55 0.59 0.39 1.94 0.22 0.09   0.01 5.07 1.19 2.63 1.68
Virgularia sp.   0.54 3.71 0.56 2.80 2.78 0.18 0.51   5.91 0.59 1.69 1.29
Virgulariidae 0.04 0.90   1.61 13.13 5.44 3.28 0.76   9.58 3.25 0.26 3.25
Sum sjøfjær 41.96 15.04 18.35 30.00 86.99 36.33 6.91 2.00 0.01 46.91 29.00 22.86 15.75
Modiolus modiolus             6.10 0.24 1.15        
Tabell 5. Oversikt over observert artsmangfold og relativ mengde av indikatorarter (gjennomsnittlig antall registreringer per videolinje) for sårbare habitater i kartleggingsområdene i Nordsjøen og Skagerrak og samlet for områdene utenfor.

 

Figuren viser to søylediagrammer med gjennomsnittlig relativ mengde av seks sårbare habitater i Mareanos kartleggingsområder i Nordsjøen og Skagerrak. Diagrammet A viser verdier beregnet for alle videolinjer. Diagram B viser verdier beregnet kun med videolinjer der habitatet ble observert.
Figur 6. Gjennomsnittlig relativ mengde av seks sårbare habitater i Mareanos kartleggingsområder i Nordsjøen og Skagerrak. A: Beregnet for alle videolinjer (inkludert videolinjer hvor habitatet ikke ble observert), B: Beregnet kun for videolinjer der habitatet ble observert.

 

 

Kart som viser relativ mengde (% av havbunnsregistreringer per videolinje) av sårbare habitater. Mengden av sårbare habitater er gitt som størrelse av punktene.
Figur 7. Relativ mengde (% av havbunnsregistreringer per videolinje) av sårbare habitater. Alcyonium er presentert selvstendig.

 

Sjøfjærsamfunn

Sjøfjærsamfunn var det mest utbredte sårbare habitatet og ble registrert på 21 % av stasjonene (112 av 523). Habitatet forekom primært dypere enn 400 m (Figur 6 & 9). De største forekomstene ble registrert i dybdeintervallet 400–500 m, hvor habitatet i gjennomsnitt dekket 35–38 % av videolinjene. Beregnet kun for stasjoner hvor habitatet forekom, var gjennomsnittlig dekning 52–54 % av videolinjene i dette dybdeintervallet.

Indikatorartene Funiculina quadrangularis (stor piperenser) og Kophobelemnon stelliferum (hanefot) ble registrert på henholdsvis 237 og 327 stasjoner. De fleste observasjonene var imidlertid enkeltindivider eller lave tettheter som ikke tilfredsstilte kriteriene for sjøfjærsamfunn (jf. Tabell 3). Pennatula phosphorea (Figur 8) ble observert på 56 stasjoner, med høy tetthet på seks lokaliteter mellom 250 og 320 m dyp.

 

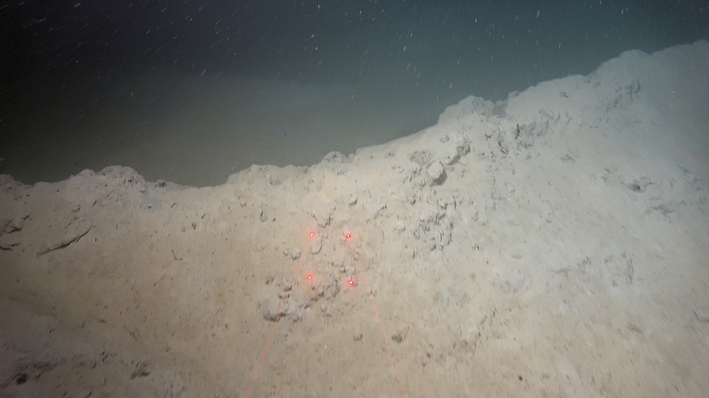
Bilde som viser eksempel på sjøfjærsamfunn med høy tetthet av Pennatula phosphorea på stasjon R3732, i kystbelte Jæren, 289 m dyp. De fire røde prikkene i midten av bildet er laserpunkter for skalering av bildet med en avstand på 10 cm mellom punktene.
Figur 8. Sjøfjærsamfunn med høy tetthet av Pennatula phosphorea på stasjon R3732, i kystbelte Jæren, 289 m dyp. De fire røde prikkene er laserpunkter for skalering av bildet med en avstand på 10 cm mellom punktene.

 

Svampskog

Svampskog ble påvist i flere områder, særlig i kystnære lokaliteter i dybdeintervallet 150–250 m, knyttet til hardbunn dominert av grus, stein og blokk. I dette intervallet dekket habitatet i gjennomsnitt 7–9 % av videolinjene. Beregnet kun for stasjoner hvor habitatet forekom, var gjennomsnittlig dekning 34-39 % av videolinjene i dybdeintervallet 200-250 m (Figur 7 & 9).

 

To kart over forekomster av sjøfjærsamfunn (A), svampskog og svampspikelbunn (B). Mengden er angitt som størrelse av punktene.
Figur 9. Kart over forekomster av sjøfjærsamfunn (A), svampskog og svampspikelbunn (B).

 

Svampspikelbunn

Svampspikelbunn ble registrert på kun syv stasjoner (3 % av stasjonene) i Kystbelte Utsira, i dybdeintervallet 138–236 m. Habitatet var knyttet til områder med større innslag av slam, og forekom delvis overlappende med lokaliteter der svampskog ble registrert. På stasjoner hvor habitatet ble identifisert dekket det 40-49 % av videolinjene (Figur 6).

Indikatorartene omfattet de store svampene Geodia atlantica, G. barretti, G. macandrewii, G. phlegraei, Hexadella detrifera, Stryphnus fortis, S. ponderosus og Stelletta sp. Det ble også registrert innslag av indikatorarter for svampskog på disse lokalitetene, noe som indikerer en gradient eller mosaikk mellom disse to svampdominerte habitattypene.

Bløtbunnskorallskog

Bambuskorallskog dominert av Isidella lofotensis ble registrert på to lokaliteter på 300-350 m dyp, i kystbeltet Jæren (Figur 6, 10 & 12). Her dekket habitatet rundt 18 % av videolinjene. Begerkorallsamfunn dominert av Flabellum macandrewi ble dokumentert på syv lokaliteter i Vestavind B (Figur 11), i dybdeintervallet 350–450 m, med en dekning på 20-29 % av videolinjene.

 

Bilde av bambuskorallskog og spredte sjøfjær på stasjon R3668, i KB Jæren, 300 m dyp.
Figur 10. Bambuskorallskog og spredte sjøfjær på stasjon R3668, i KB Jæren, 300 m dyp.

 

 

Kart over lokaliteter dominert av Flabellum macandrewi (en frittlevende begerkorall). Den relative mengden av habitatet er angitt som størrelse av punktene.
Figur 11. Kart over lokaliteter dominert av Flabellum macandrewi (en frittlevende begerkorall).

 

Sylindersjørosebunn

Sylindersjørosebunn ble registrert med høye tettheter på to lokaliteter i ytterkanten av den flate, dype delen (dybdeintervallet 450 – 500 m) av Skagerrak i nordlige deler av kystbeltet ved Risør og i sørlige deler av Skagerrak (Figur 6 & 9). Her forekom sylindersjøroser med høye tettheter, med en dekning på rundt 14 % av videolinjene.

 

Kart over forekomster av tre mindre vanlige sårbare habitater dominert av sylindersjørose, O-skjell, og bambuskorall (Isidella lofotensis). De tre sårbare habitatene er angitt som punkt med ulik farge. Størrelsen angir relativ mengde.
Figur 12. Kart over forekomster av tre mindre vanlige sårbare habitater dominert av sylindersjørose, O-skjell, og bambuskorall (Isidella lofotensis) .

 

Enkeltforekomster av hornkoraller

Utover bambuskoraller ble det ikke registrert tettheter av hornkoraller som tilfredsstilte kriteriene for korallskog. Enkeltkolonier ble observert i kystbelte Utsira (Paragorgia arborea, Paramuricea placomus og Primnoa resedaeformis) og på to lokaliteter i Skagerrak (P. resedaeformis). Utenfor Mareanos kartleggingsområder ble P. arborea og P. placomus observert i Hardangerfjorden og Boknafjorden (Figur 13).

Andre strukturdannende arter

Høye tettheter av bløtkorallen dødmannshånd (Alcyonium digitatum) ble registrert i flere områder med grus og stein i Sørvest F og i sørlige, grunne deler av NSJ-områdene (Figur 14). Disse forekomstene er imidlertid ikke klassifisert som sårbare habitater av OSPAR eller FAO.

 

Kart over forekomster av hornkorallene sjøtre (Paragorgia arborea), sjøbusk (Paramuricea placomus), risengrynkorall (Primnoa resedaeformis) og bambuskorall (Isidella lofotensis). De ulike hornkorallene er angitt som punkter med ulik farge.
Figur 13. Kart over forekomster av hornkorallene sjøtre (Paragorgia arborea) , sjøbusk (Paramuricea placomus), risengrynkorall (Primnoa resedaeformis) og bambuskorall (Isidella lofotensis) .

 

 

Kart over lokaliteter dominert av Alcyonium digitatum (dødmannhånd). Den relative mengden er angitt som størrelse av punktene.
Figur 14. Kart over lokaliteter dominert av Alcyonium digitatum (dødmannhånd).

 

 

Foto med eksempel på Alcyonium-hage på stasjon R3640, i sørlig del av område NSJ-1, 52 m dyp.
Figur 15. Alcyonium-hage på stasjon R3640, i sørlig del av område NSJ-1, 52 m dyp.

 

3.5 - Menneskelig påvirkning

3.5.1 - Trålspor og skadde kolonier

Trålspor ble observert i flere deler av undersøkelsesområdet, men forekomsten var klart høyest i skråningen opp fra Norskerenna til Nordsjøplatået, nordlig del av kystbelte Skagerrak og i Ytre Oslofjord (NS4) (Figur 17). I disse områdene var det gjennomsnittlige antallet trålspor per videostasjon henholdsvis 10 og 6, med et maksimum på 38 og 50 spor per stasjon. I nordlig del av kystbelte Skagerrak og Ytre Oslofjord var det et overlapp mellom trålspor og skadde kolonier av sjøfjær, som indikerer fysisk påvirkning av bunntråling. Trålspor var sjeldne eller fraværende i de fleste fjordområdene og på de grunne, sanddominerte områdene på Nordsjøplatået.

Samtidig viste videomaterialet betydelige interne forskjeller innen Norskerenna. Flere av de dypeste lokalitetene fremsto som lite eller ikke påvirket av bunntråling og var preget av tette bestander av sjøfjær. Dette samsvarer med at de dypere deler av Norskerenna inngår i et dumpingsområde for militære stridsmidler som er stengt for tråling, og det ser ut til at fiskeriaktiviteten i stor grad også unngår nærliggende områder. Videre er de dypeste delene av Norskerenna generelt mindre attraktive for bunntråling, og den mest intensive reketrålingen foregår i grunnere deler av skråningen opp fra renna.

 

Foto som gir et eksempel på trålspor observert på stasjon R3351, kystbelte Skagerrak, 245 m dyp.
Figur 16. Eksempel på trålspor observert på stasjon R3351, kystbelte Skagerrak, 245 m dyp.

 

 

To kart som viser antall observasjoner av trålspor (A) og skadde kolonier av sjøfjær (B).  Mengden (antall per videolinje) er gitt som størrelse av punktene.
Figur 17. Antall observasjoner av trålspor (A) og skadde kolonier av sjøfjær (B).

 

3.5.2 -  Søppel på havbunnen

Forekomsten av marint søppel var generelt lav i undersøkelsesområdet, men søppel ble registrert i et flertall av de geografiske delområdene. Totalt ble marint søppel observert på 23 % av videostasjonene. De høyeste gjennomsnittlige forekomstene ble registrert i Skagerrak (1,16 objekter per stasjon) og i Norskerenna (0,57 objekter per stasjon), med enkelte stasjoner der opptil 18 søppelobjekter ble registrert. I de øvrige områdene var den gjennomsnittlige forekomsten lav, med verdier på 0,3–0,4 objekter per stasjon.

Det var en tydelig forskjell i både forekomst og type søppel mellom de dype stasjonene i Norskerenna og de grunnere stasjonene i kystbeltet. I kystbeltet ble søppel registrert på 21 % av stasjonene, mens søppel ble observert på 60 % av stasjonene i Norskerenna. De største mengdene søppel ble dermed funnet i Norskerenna, der plast og uidentifisert søppel dominerte funnene. I kystbeltet ble det ikke registrert plastbasert søppel.

 

Kart som viser mengde av søppel på havbunnen (antall objekter per videostasjon). Mengde er angitt som størrelse av punktene.
Figur 18. Mengde av søppel på havbunnen (antall objekter per videostasjon).

 

Plast har lav egenvekt og transporteres effektivt med havstrømmer. Norskerenna fungerer derfor trolig som et akkumuleringområde for plast (Figur 19) og annet lett søppel som kan ha sin opprinnelse utenfor selve kartleggingsområdet. Kategorien «uidentifisert søppel» består i stor grad av objekter som antas å være knyttet til dumping av stridsmidler etter andre verdenskrig. Det ble imidlertid ikke observert større ammunisjon eller vrak innenfor kartleggingsområdet i Norskerenna. Ett skipsvrak ble derimot registrert i kystbeltet i Skagerrak, øst for Tromøy.

 

Foto som viser et eksempel på plastsøppel på stasjon R3314 på 622 m dyp i Skagerrak.
Figur 19. Plastsøppel på stasjon R3314 på 622 m dyp i Skagerrak.

 

4 - Diskusjon

4.1 - Overordnede mønstre i biotoper og biodiversitet

Resultatene viser at utbredelsen av biotoper og variasjonen i artsmangfold i Nordsjøen og Skagerrak i hovedsak reflekterer landskapstyper og gradienter i dyp, substrat og hydrografiske forhold. Disse faktorene virker sammen og skaper tydelige økologiske gradienter som fanges opp både i DCA-ordinasjonen og TWINSPAN-klassifikasjonen.

Det høyeste artsmangfoldet ble observert i kystnære og mellomdype områder (omtrent 100–250 m), særlig i kystbeltet ved Utsira, Vestavind og deler av Skagerrak. Disse områdene er preget av komplekse bunnsubstrater med innslag av grus, stein og blokk, som gir økt habitatheterogenitet og tredimensjonal struktur. Slike forhold er kjent for å fremme høyere biodiversitet, og samsvarer godt med tidligere funn fra Mareano og andre regionale studier (Buhl-Mortensen & Buhl-Mortensen 2014).

I kontrast viser de grunne, sanddominerte områdene på Nordsjøplatået et lavere og mer homogent artsmangfold. Disse områdene dekker imidlertid store arealer og har høy økologisk betydning som funksjonelle habitater for mobile arter, inkludert fisk og krepsdyr, og som gyte- og oppvekstområder for flere kommersielt viktige bestander.

De dypere områdene i Skagerrak og Norskerenna har i gjennomsnitt færre taxa per stasjon, men rommer flere sårbare og habitatdannende arter, og representerer dermed økologiske nøkkelområder til tross for lavere lokal artsrikdom. Dette illustrerer at høy biodiversitet og høy strukturell eller økologisk betydning ikke nødvendigvis sammenfaller.

4.2 -  Biotopinndeling og økologisk tolkning av Twinspan-gruppene

Biotopinndelingen identifisert med TWINSPAN følger i stor grad kjente geomorfologiske og oseanografiske strukturer i regionen. De artsrike gruppene i kystnære og mellomdype områder (grupper 1–4) er kjennetegnet av hardbunn eller blandet substrat og domineres av habitatdannende svamper og bløtkoraller. Slike samfunn skaper kompleks tredimensjonal struktur og fungerer som viktige leveområder for et bredt spekter av assosierte arter, inkludert både fastsittende og mobile taxa.

De dypere biotopene i Skagerrak og Norskerenna (grupper 5–7) er knyttet til finere sedimenter og er dominert av sjøfjærsamfunn, bambuskorallskog og forekomster av begerkoraller. Disse samfunnene er karakteristiske for stabile dypvannsmiljøer med lav fysisk forstyrrelse og representerer sårbare marine økosystemer (VME) i henhold til internasjonale kriterier. Den tydelige fremtredenen av disse gruppene i analysene understreker Norskerenna sin rolle som et kjerneområde for dypvannsfauna i Nordsjø–Skagerrak-regionen.

De grunneste biotopene (gruppe 9–12), dominert av sand og grus, har generelt lavere artsrikdom, men viser tydelige økologiske funksjoner. Forekomsten av Alcyonium-hager og mobile predatorer indikerer aktive bentiske samfunn med sterke koblinger til pelagiske næringsnett. Flere av disse områdene overlapper også med kjente gyte- og oppvekstområder for fisk, noe som gir dem høy funksjonell betydning til tross for begrenset strukturell kompleksitet

4.3 - Forekomster av sårbare habitater (VME)

Kartleggingen dokumenterer at sårbare habitater er vidt utbredt i Nordsjøen og Skagerrak, men med betydelig regional variasjon i forekomst, tetthet og fragmentering. Sjøfjærsamfunn er det klart mest utbredte sårbare habitatet i materialet, særlig i Skagerrak og Norskerenna. Den brede forekomsten av indikatorartene Funiculina quadrangularis og Kophobelemnon stelliferum viser at disse artene inngår som en viktig komponent i store deler av det dypere bentiske økosystemet. Samtidig viser analysene at tetthetene ofte er lave og fragmenterte, slik at kun en del av forekomstene tilfredsstiller de operasjonelle kriteriene for å bli klassifisert som sjøfjærsamfunn. Selv om sjøfjærsamfunn generelt har lavere artsrikdom av direkte assosiert fauna enn større hornkoraller, fungerer de likevel som viktige biogeniske habitater. De Clippele et al. (2015) viser at sjøfjær bidrar med romlig kompleksitet i ellers sedimentdominerte miljøer og gir skjul, oppvekst- og næringsmuligheter for mobile bunndyr.

Den assosierte faunaen er mindre artsrik enn hos hornkoraller, men består særlig av krepsdyr (bl.a. reker) og slangestjerner som bruker koloniene som tilflukt eller som et gunstig sted for fødeopptak. Enkelte arter viser tydelig vertsspesifisitet; eksempelvis ble slangestjernen Asteronyx loveni kun observert på Funiculina quadrangularis , der den sannsynligvis utnytter høyden over bunnen for effektiv partikkelfangst. Dette understreker at selv relativt spredte sjøfjærforekomster kan ha økologisk betydning utover det som reflekteres i tetthetskriteriene alene. Svampskog forekommer hovedsakelig i hardbunnsområder i mellomdype kystsoner. Her er substrattilgjengelighet den avgjørende faktoren. De fleste svamper krever fast feste, og forekomsten reflekterer direkte tilgjengelighet av grus, stein og blokk. I motsetning til sjøfjær er svampskog mindre knyttet til dyp alene og mer til substrat og vannbevegelse. Dette gir en tydelig romlig adskillelse mellom sedimentdominerte VME-er og hardbunnsbaserte VME-er.

Bløtbunnskorallskog ( Isidella lofotensis ), begerkorallsamfunn ( Flabellum macandrewi ) og O-skjellbanker ( Modiolus modiolus ) forekommer mer fragmentert og regionalt. Indikatorarter for hardbunnskorallskog ble kun observert med spredte forekomster. Det må understrekes at kun deler av Nordsjøen og Skagerrak er kartlagt og at man ikke kan utelukke større utbredelse av sjeldnere sårbare naturtyper eller at det kan finnes hardbunnskorallskog, spesielt i hardbunnsområder i skråningen ned mot Norskerenna. Sammenstilt med observasjoner fra andre videoinspeksjoner og bifangst i reketrål (Figur 20) indikerer Mareanos observasjon av Isidella at bambuskorallskog sannsynligvis er mer utbredt enn Mareano-resultater indikerer alene. Spesielt er sannsynligheten stor i skråningen ned i Norskerenna i vestlig del.

 

Kart som viser observasjoner av bambuskorall (Isidella lofotensis) fra Mareanos kartlegging sammenstilt med informasjon fra tidligere publikasjon fra Buhl-Mortensen et al. (2023). Forkomster fra de ulike datakildene er angitt som punkt med ulike farger.
Figur 20. Observasjoner av bambuskorall ( Isidella lofotensis ) fra Mareanos kartlegging sammenstilt med informasjon fra Buhl-Mortensen et al. (2023).

 

Påvisning av sårbare habitater i denne studien er basert på operasjonelle tetthetskriterier (jf. Tabell 3), hvor frekvensen av observasjoner av indikatorarter langs videolinjene brukes som en proxy for habitatdannelse. Denne tilnærmingen er metodisk robust og nødvendig for standardisert kartlegging, men man kan reise spørsmål om hvorvidt faste terskelverdier for klassifisering fullt ut fanger opp økologisk relevans i alle områder. Naturlige bakgrunnstettheter av habitatdannende arter varierer betydelig mellom havområder. For eksempel viser både tidligere studier og foreliggende materiale at tetthetene av sjøfjær generelt er høyere i Nordsjøen og Skagerrak enn i Barentshavet og på midtnorsk sokkel. Et tetthetsnivå som representerer et strukturdannende samfunn i ett havområde, kan derfor være uvanlig høyt – eller motsatt, relativt lavt – i et annet. Dette innebærer at absolutte terskelverdier for klassifisering av sårbare habitater ikke nødvendigvis er direkte overførbare mellom regioner. Dersom tersklene settes for høyt i områder med naturlig lav bakgrunnstetthet, kan viktige habitatforekomster bli underestimert. Omvendt kan lave terskler i områder med høy naturlig tetthet føre til at svært store arealer klassifiseres som VME, noe som kan redusere forvaltningsmessig presisjon.

Resultatene fra Nordsjøen og Skagerrak illustrerer denne problemstillingen tydelig. Sjøfjær forekommer på en stor andel av stasjonene, men kun en mindre del av disse tilfredsstiller kriteriene for sjøfjærsamfunn. Dette kan indikere at dagens terskler fanger opp de mest strukturelt utviklede forekomstene, men samtidig ikke fullt ut reflekterer den økologiske betydningen av mer spredte forekomster.

Resultatene viser også at forholdet mellom de identifiserte biotopene og forekomsten av sårbare habitater ikke er entydig. Omtrent halvparten av biotopene identifisert med TWINSPAN er karakterisert av indikatorarter for sårbare habitater (Tabell 4), men sammenhengen er ikke én-til-én. Enkelte VME-typer forekommer i flere biotoper, og enkelte biotoper inneholder flere ulike VME-elementer. Dette reflekterer at biotopene primært beskriver helhetlige faunasamfunn, mens VME-klassifiseringen er basert på forekomst og tetthet av bestemte strukturdannende arter. Innenfor enkelte habitattyper kan ulike indikatorarter dessuten dominere i ulike biotoper. For sjøfjær er for eksempel Kophobelemnon stelliferum karakteristisk for biotop 5 i de dype slamdominerte områdene i Skagerrak, mens Funiculina quadrangularis er mer fremtredende i biotop 6 i Norskerenna. I biotop 8 i NS4-området forekommer derimot Balticina sp. hyppigere. Slike forskjeller kan reflektere variasjoner i sedimentegenskaper, som kornstørrelse, organisk innhold eller sedimentstruktur, faktorer som ikke er undersøkt i detalj i denne studien. En mer finmasket analyse av sammensetningen av indikatorarter kunne i prinsippet gi en videre oppdeling av enkelte VME-typer i undergrupper. En slik inndeling vil imidlertid i begrenset grad gi tilleggsverdi i en forvaltningsmessig sammenheng, ettersom de overordnede habitattypene allerede fanger opp de viktigste økologiske og strukturelle forskjellene mellom områdene.

4.4 - Sammenheng mellom biologiske mønstre og menneskelig påvirkning

Registreringene av trålspor og marint søppel viser at menneskelig påvirkning er utbredt i deler av undersøkelsesområdet, særlig i Norskerenna og Ytre Oslofjord. Samtidig er det i disse områdene flere sårbare habitater forekommer, inkludert sjøfjærsamfunn og andre VME-typer. Det romlige sammenfallet mellom påvirkningsindikatorer og sårbare biotoper peker på en potensiell konflikt mellom bevaring av bentiske økosystemer og pågående eller historisk bruk av havbunnen.

Trålspor dokumenterer fysisk forstyrrelse av både sediment og hardbunn. Dette kan ha betydelige konsekvenser for langsomt voksende og strukturdannende arter som sjøfjær, svamper og koraller, som ofte har lav restitusjonsevne og begrenset rekruttering. Gjentatt forstyrrelse kan derfor hindre utvikling og opprettholdelse av velstrukturerte samfunn, selv der de abiotiske forholdene ellers er gunstige. Det tydeligste romlige overlappet mellom trålspor og mekanisk skadde sjøfjærkolonier ble registrert i Kystbelte Skagerrak og NS4. Dette styrker tolkningen av at fysisk bunnpåvirkning bidrar til direkte skade på strukturdannende arter i enkelte områder. Trålspor ble også hyppig observert i den sørlige delen av Norskerenna, særlig i skråningen opp mot Nordsjøplatået. I disse områdene ble det imidlertid ikke registrert skadde sjøfjær eller andre habitatdannende arter. Dette samsvarer med at området i liten grad fremstår som egnet habitat for slike sårbare samfunn, og illustrerer at effekten av bunnpåvirkning må vurderes i lys av den underliggende habitatfordelingen.

Forekomsten av marint søppel, særlig plast, i Norskerenna indikerer at området fungerer som et akkumulasjonsområde for avfall transportert med havstrømmer og topografisk styrt sedimentasjon. Dette representerer en annen type påvirkning enn tråling, og kan påvirke både habitatkvalitet og organismer direkte. Mens effektene på bentiske samfunn i denne studien ikke er kvantifisert, kan plast og annet avfall ha negative konsekvenser for både bunndyr, fisk og marine pattedyr gjennom fysisk skade, tildekking og inntak.

Selv om rapporten ikke analyserer årsak–virkning eksplisitt, viser resultatene at enkelte biotoper og VME-forekomster er eksponert for flere samtidige påvirkningsfaktorer. Dette peker mot behovet for å vurdere kumulative effekter og samlet belastning i videre forvaltnings- og arealplanlegging, der både naturlige miljøgradienter og menneskeskapte påvirkninger inngår i en helhetlig vurdering.

 

4.5 - Metodiske styrker og begrensninger

En sentral styrke ved denne studien er det store antallet videostasjoner og den brede geografiske dekningen, som gir et solid grunnlag for regional biotopklassifisering. Bruken av standardiserte feltannoteringer kombinert med robuste multivariate metoder (DCA og TWINSPAN) gjør det mulig å identifisere overordnede mønstre i arts- og habitatfordeling, selv når dataene er basert på overordnede taksonomiske nivåer. Samtidig er det viktig å understreke at resultatene er foreløpige. Artsidentifikasjonene er i stor grad gjort på høyt taksonomisk nivå, og kvantitative estimater av tetthet og biomasse mangler. Analysene baserer seg utelukkende på videodata, uten direkte integrering av bunnprøvedata fra fullstasjonene, noe som kan føre til underrepresentasjon av mindre, kryptiske eller infauna-arter. Videre bearbeiding av materialet, inkludert mer detaljert artsbestemmelse og kobling mot prøvetakingsdata, vil kunne gi en mer presis og økologisk detaljert beskrivelse av samfunnsstruktur og prosesser.

5 - Litteratur

Buhl-Mortensen P, Buhl-Mortensen L (2014). Diverse and vulnerable deep-water biotopes in the Hardangerfjord. – Marine Biology Research 10: 253-267, http://dx.doi.org/10.1080/17451000.2013.810759

Buhl-Mortensen L, Buhl-Mortensen P, Dolan MFJ, Holte B (2015a). The MAREANO programme – A full coverage mapping of the Norwegian off-shore benthic environment and fauna. Marine Biology Research 11(1): 4-17. http://www.tandfonline.com/doi/full/10.1080/17451000.2014.952312#.VL5h6EfF9oM

Buhl-Mortensen L, Buhl-Mortensen P, Dolan M, Gonzales-Mirelis G (2015b). Habitat mapping as a tool for conservation and sustainable use of marine resources: some perspectives from the MAREANO programme, Norway. – Journal of Sea Research, Gonzalez-Mirelis G (2022). MAREANO North Sea/Frisk Oslofjord cruise (2022118) — Utsira, SVO “North Sea & Skagerrak #4” and Ytre Hvaler. RV "G.O. Sars" 14.10–30.10 2022. TOKTRAPPORT Nr.13 2022.

Buhl-Mortensen L, Olafsdottir SH, Buhl-Mortensen P, Burgos JM, Ragnarsson SA (2015). Distribution of nine cold-water coral species (Scleractinia and Gorgonacea) in the cold temperate North Atlantic in light of bathymetry and hydrography. Hydrobiologia, 759:39-61.

Buhl-Mortensen L, Burgos JM, Steingrund P, Buhl-Mortensen P, Ólafsdóttir SH, Ragnarsson SÁ (2019) Vulnerable marine ecosystems (VME): Coral and sponge VMEs in Arctic and sub-Arctic waters - Distribution and threats. TemaNord 2019:519, ISSN 0908-6692

Buhl-Mortensen L, Thangstad TH, Søvik G, Wehde H (2023) Sea pens and bamboo corals in Skagerrak and the Norwegian trench, Marine Biology Research, 19:2-3, 191-206, DOI: 10.1080/17451000.2023.2224967

Buhl-Mortensen P, Dolan MFJ, Ross RE, Gonzalez-Mirelis G, Buhl-Mortensen L, Bjarnadóttir LR and Albretsen J (2020). Classification and Mapping of Benthic Biotopes in Arctic and Sub-Arctic Norwegian Waters. Front. Mar. Sci. 7:271. doi: 10.3389/fmars.2020.00271

Buhl-Mortensen P, Bellec V, Strømme ML, Olssøn R, Wiberg DH, Sveistrup AK (2024a). MAREANOTOKT 2023 LEG 2 – Toktrapport 2023001009. TOKTRAPPORT Nr. 2 2024

Buhl-Mortensen P, Buhl-Mortensen L, Bakkeplass K. (2024b). Plastsøppel på havbunnen kartlagt av Mareano. Rapport fra Havforskningen 2024-12, ISSN: 1893-4536

Clippele L. H. De, Buhl-Mortensen P, Buhl-Mortensen L. 2015. Fauna associated with cold water gorgonians and sea pens. Continental Shelf Research, 105:67-78.

Eriksen E, Meeren GI, Nilsen BM, Quillfeldt CH, Johnsen H (2021). Særlig verdifulle og sårbare områder (SVO) i norske havområder - Miljøverdi – En gjennomgang av miljøverdier og grenser i eksisterende SVO og forslag til nye områder. Rapport fra havforskningen År - Nr. 2021-26, ISSN:1893-4536, 359 sider.

FAO (2009). International guidelines for the management of deep-sea fisheries in the high seas. Rome, Italy: Food and Agriculture Organization. Available at https:// www.fao.org/3/i0816t/I0816T.pdf. Accessed September 20, 2024.

Gonzalez-Mirelis G, Buhl-Mortensen P. 2015. Modelling benthic habitats and biotopes off the coast of Norway to support spatial management. Ecological Informatics 30: 284–292, http://dx.doi.org/10.1016/j.ecoinf.2015.06.005

Gonzalez-Mirelis G (2026). MAREANO - NORTH SEA LEG 2 – Cruise report 2025001009 - Sørvest F and Norskerenna FF. TOKTRAPPORT No.1 2026.

Hill MO (1979). TWINSPAN a Fortran Program for Arranging Multivariate Data in an Ordered Two-Way Table by Classification of the Individuals and Attributes. Ecology and Systematic (Ithaca, NY: Cornell University).

Hill MO, and Gauch HG (1980). Detrended correspondence analysis: An improved ordination technique. Vegetatio 42, 47–58. doi: 10.1007/ BF00048870

Kartveit KH, Bellec V, Josefina Johansson J, Piechaud N (2023). Mareano leg 3 2023. TOKTRAPPORT Nr. 9 2024.

Kartveit KH, Bøe R, Strømme ML, Skjefstad J, Fuhrmann MM, Gabrielsen H, Saint-André C, Bienfait AM (2024). MAREANO 2024 LEG1 – Nordsjøtokt 2024007003. TOKTRAPPORT Nr. 11 2024.

Marquez JF, Meeren G, Meeren T, Albretsen J, Ross R, et al. (2024). Liste over forvaltningsrelevante naturenheter. Rapport fra Havforskningen 2024-53. ISSN: 1893-4536. 74pp.

Murillo FJ, Kenchington E, Sacau M, Piper DJW, Wareham V, Muñoz A (2011). New VME indicator species (excluding corals and sponges) and some potential VME elements of the NAFO Regulatory Area. NAFO SCR Doc. 11/73.

OSPAR (2008). Descriptions of habitats on the OSPAR list of threatened and/or declining species and habitats. Reference number 2008-7.

Ross R, Thorsnes T, Meek TJ, Johansson J (2023). MAREANO LEG 1 2023 EASTERCRUISE REPORT – Cruise Report 2023001005. TOKTRAPPORT Nr. 2 2024.

6 - Appendiks

 

Art/Taxon Ant st Ant obs Maks forekomst
Bacteria      
bacterial mat 7 21 11
Rhodophyta encrusting calcareous 39 996 109
Protozoa      
Pelosina arborescens 89 291 16
Porifera      
Antho dichotoma 70 615 33
Craniella sp. 16 67 15
Craniella zetlandica 24 107 38
Asbestopluma pennatula 16 45 10
Axinellidae 55 236 29
Axinella infundibuliformis 71 281 15
Geodia atlantica 17 54 14
Geodia barretti 46 155 20
Geodia macandrewii 13 32 12
Geodia phlegraei 6 11 4
Geodia sp. 29 70 7
Haliclona sp. 6 9 2
Hexadella dedritifera 47 198 21
Hamacantha bowerbanki 5 32 22
Hymedesmia crux 20 134 36
Hymedesmia jecusculum 12 52 13
Hymedesmia paupertas 63 395 22
Mycale lingua 75 688 52
Oceanapia robusta 41 355 65
Phakellia sp. 81 533 38
Phakellia ventilabrum 44 324 41
Polymastiidae 34 111 14
Polymastia sp. 36 85 14
Porifera branched dense 44 212 24
Quasillina brevis 37 155 23
Spinularia spinularia 4 9 3
Stryphnus ponderosus 14 45 9
Stylocordyla borealis 19 89 17
Tentorium semisuberites 17 50 8
Thenea sp. 78 828 67
Cnidaria      
Actinostola callosa 9 13 3
Alcyonium digitatum 121 2209 138
Balticina sp. 23 238 38
Bolocera tuediae 166 1356 67
Caryophyllia smithii 5 15 7
Cerianthus lloydii 19 232 62
Art/Taxon Ant st Ant obs Maks forekomst
Cerianthidae 105 254 21
Corymorpha sp. 6 7 2
Edwardsiidae 21 110 20
Epizoanthus sp. 15 48 17
Flabellum macandrewi 21 288 57
Flustridae 116 1004 132
Funiculina quadrangularis 223 3770 245
Halcampoides sp. 4 4 1
Hormathia sp. 9 26 7
Hormathiidae 50 151 24
Hydractiniidae 23 39 4
Hydrozoa bush 23 42 8
Hydrozoa feather 17 21 2
Isidella lofotensis 15 125 39
Kophobelemnon stelliferum 219 4208 206
Nephtheidae 4 7 4
Pachycerianthus multiplicatus 27 96 13
Pennatulacea 158 819 71
Pennatula phosphorea 55 1572 548
Primnoa resedaeformis 5 9 4
Ptychodactis patula 5 7 3
Sertulariidae 21 48 9
Virgularia mirabilis 24 232 21
Virgulariidae red 93 776 78
Virgularia sp. 84 492 44
Virgulariidae 97 1186 108
Nemertea      
Nemertea 17 25 5
Polychaeta      
Nothria sp. 10 411 200
Oxydromus flexuosus 34 1105 288
Polychaeta tube 77 260 110
Sabellidae 132 358 30
Aphroditidae 51 172 9
Aphrodita aculeata 15 40 7
Ditrupa arietina 22 531 265
Filograna implexa 86 353 23
Pycnogonida      
Nymphon sp. 4 7 4
Pycnogonida 24 34 5
Crustacea      
Atlantopandalus propinqvus 89 579 33
Balanidae 18 37 9
Calocaris macandreae 6 13 5
Art/Taxon Ant st Ant obs Maks forekomst
Cancer pagurus 16 37 6
Caridea 109 366 29
Crangonidae 98 540 113
Eurycope sp. 7 7 1
Galatheoidea 26 43 7
Geryon trispinosus 9 11 2
Hyas sp. 5 5 1
Munida sp. 284 4348 175
Neohela sp. 35 49 4
Nephrops norvegicus 105 277 27
Nudibranchia 14 15 2
Pagurus bernhardus 14 24 3
Pagurus pubescens 5 5 1
Paguridae 308 1728 48
Pandalidae 307 9509 867
Pontophilus sp. 25 43 9
Sabinea sp. 6 7 2
Scalpellidae 11 14 2
Spirontocaris sp. 42 267 35
Mollusca      
Acesta excavata 5 13 6
Aporrhais sp. 6 9 3
Astarte sp. 11 20 8
Buccinidae 62 161 14
Buccinoidea 137 621 26
Buccinum undatum 24 37 6
Cephalopoda benthic 9 10 2
Colus sp. 32 50 11
Modiolus modiolus 28 521 273
Mytilidae 4 18 10
Naticidae 4 4 1
Neptunea antiqua 14 29 5
Neptunea sp. 31 35 3
Pectinidae 31 58 19
Prosobranchia 106 225 9
Pseudamussium peslutrae 19 159 62
Echinodermata      
Antedonoidea 19 39 7
Asteroidea 328 2572 187
Asteriidae 59 294 24
Astropecten irregularis 147 2978 198
Asteronyx loveni 158 1687 83
Asterias rubens 156 1313 91
Bathyplotes natans 6 10 4
Art/Taxon Ant st Ant obs Maks forekomst
Ceramaster granularis 46 158 10
Echinus esculentus 24 130 24
Echinoidea irregular 44 194 45
Echinoidea regular 39 153 31
Echinus sp. 4 5 2
Gorgonocephalus sp. 5 8 3
Gracilechinus acutus 193 5506 668
Hippasteria phrygiana 16 18 2
Holothuroidea 9 11 3
Henricia sp. 151 1026 30
Leptasterias muelleri 7 14 5
Leptasterias sp. 31 240 35
Mesothuria intestinalis 64 287 14
Ophioscolecidae 19 133 20
Ophiuroidea 235 2288 676
Ophiopholis aculeata 8 14 7
Ophiura sarsii 7 14 4
Ophiura sp. 4 7 4
Parastichopus tremulus 191 1159 39
Pontaster tenuispinus 5 9 4
Porania pulvillus 40 163 20
Poraniomorpha sp. 15 22 6
Poraniidae 5 6 2
Psilaster andromeda 81 441 42
Pteraster militaris 7 15 6
Pteraster sp. 16 18 2
Rhizocrinus lofotensis 10 21 7
Solaster sp. 25 48 6
Spatangoida 18 95 30
Spatangus sp. 39 377 45
Stichastrella rosea 78 514 68
Echiura      
Bonelliidae 46 503 71
Maxmuelleria faex 30 118 22
Bryozoa      
Brosme brosme 9 12 2
Bryozoa branched 12 18 4
Bryozoa calcareous branched 29 58 7
Bryozoa encrusting 39 103 14
Horneridae 30 47 5
Reteporella beaniana 59 151 17
Brachiopoda      
Brachiopoda 35 46 3
Novocrania anomala 27 73 13
Art/Taxon Ant st Ant obs Maks forekomst
Ascidiacea      
Ascidia conchilega 4 17 8
Ascidiacea colonial 27 61 10
Ascidiacea solitary 56 259 24
Ascidia sp. 7 15 5
Ascidia virginea 19 65 30
Ascidiacea 22 134 101
Didemnidae 29 57 9
Styela rustica 4 25 9
Styela sp. 17 93 15
Teleostei      
Amblyraja radiata 4 4 1
Ammodytidae 22 83 12
Anarhichas sp. 5 7 2
Chimaera monstrosa 72 106 7
Corystes cassivelaunus 21 59 10
Coryphaenoides rupestris 34 126 13
Cottidae 18 40 8
Gadiculus argenteus 84 457 25
Gadus morhua 73 183 12
Gadidae 150 331 20
Galeus melastomus 26 32 3
Glyptocephalus cynoglossus 35 45 3
Helicolenus dactylopterus 17 34 7
Etmopterus spinax 50 90 11
Lepidorhombus boscii 5 7 3
Limanda limanda 45 167 15
Lophius piscatorius 4 4 1
Lophius sp. 17 19 2
Lithodes maja 64 109 7
Lithothamnion sp. 4 9 5
Luidia sarsii 71 488 41
Luidia sp. 4 11 7
Lumpeninae 20 38 7
Lycodonus sp. 7 8 2
Lycenchelys sarsii 6 7 2
Lycenchelys sp. 19 53 8
Lycodes sp. 37 40 3
Macrourus berglax 7 30 9
Macrouridae 16 107 20
Maurolicus muelleri 6 33 19
Melanogrammus aeglefinus 157 660 36
Merlangius merlangus 34 59 9
Merluccius merluccius 7 13 4
Art/Taxon Ant st Ant obs Maks forekomst
Molva dipterygia 7 8 2
Molva molva 23 51 11
Myxine glutinosa 191 1901 144
Pollachius pollachius 5 12 7
Pollachius virens 125 547 43
Pollachius sp. 5 10 3
Rajella fyllae 6 6 1
Phycis blennoides 4 5 2
Pleuronectiformes 302 1933 31
Pleuronectes platessa 38 58 4
Rajiformes 54 70 4
Sebastidae 6 8 2
Sebastes sp. 45 70 8
Selachii 10 16 3
Triglidae 74 159 10
Trisopterus esmarkii 29 132 14
Trisopterus minutus 4 10 5
Trisopterus sp. 109 561 34
Appendikstabell 1. Arter og taxa som er inkludert i ordinasjonsanalyser.
St nr Dato Område Latitude Longitude Dyp Video Grabb Boxcorer Bomtrål RP-slede Multicorer CTD Gr corer
Toktnr 2022118, FF G.O. Sars, Toktleder Genoveva Gonzalez-Mirelis                
3110 14.10.22 Utsira kontroll 59°42.784633 3°44.82871 272 1              
3111 14.10.22 Utsira kontroll 59°38.31623 3°56.47601 275 1              
3112 15.10.22 Utsira kontroll 59°37.75956 4°03.33029 274 1              
3113 15.10.22 Utsira kontroll 59°39.9092 4°06.01301 267 1              
3114 15.10.22 Utsira kontroll 59°40.414439 4°13.086054 265 1              
3115 15.10.22 Utsira kontroll 59°41.20876 4°22.28581 273 1              
3116 15.10.22 Utsira kontroll 59°42.221933 4°27.623028 279 1              
3117 15.10.22 Utsira kontroll 59°38.76056 4°36.36223 267 1              
3118 15.10.22 Utsira kontroll 59°35.54311 4°28.45487 261 1              
3119 15.10.22 Utsira kontroll 59°33.25531 4°22.62183 260 1              
3120 15.10.22 Utsira kontroll 59°33.03692 4°16.336712 266 1 5   1 2 1 1  
3121 16.10.22 Utsira kontroll 59°32.015028 4°18.305789 265 1              
St nr Dato Område Latitude Longitude Dyp Video Grabb Boxcorer Bomtrål RP-slede Multicorer CTD Gr corer
3122 16.10.22 Utsira kontroll 59°31.226673 4°00.393665 279 1              
3123 16.10.22 Utsira kontroll 59°33.44232 3°57.000615 275 1              
3124 16.10.22 Utsira kontroll 59°34.44942 3°56.924498 275 1              
3125 16.10.22 Utsira kontroll 59°35.78222 3°50.48996 268 1              
3126 16.10.22 Utsira kontroll 59°31.8857 3°50.04573 265 1              
3127 16.10.22 KB-Utsira 59°29.69164 4°38.51581 257 1              
3128 16.10.22 KB-Utsira 59°29.553798 4°41.710181 254 1              
3129 17.10.22 KB-Utsira 59°25.674089 4°41.47088 261 1              
3130 17.10.22 KB-Utsira 59°25.918684 4°39.447333 265 1              
3131 17.10.22 KB-Utsira 59°17.012324 4°31.384914 269 1 10 1 1 1 1 1  
3132 17.10.22 KB-Utsira 59°19.451244 4°44.394037 257 1              
3133 18.10.22 KB-Utsira 59°19.70717 4°38.82358 269 1              
3134 18.10.22 KB-Utsira 59°24.858936 4°32.705751 270 1              
3135 18.10.22 KB-Utsira 59°12.783345 4°23.983704 256 1              
3136 18.10.22 KB-Utsira 59°12.873089 4°12.266428 278 1 9 3 1 1 1 1  
3137 18.10.22 KB-Utsira 59°12.363896 4°31.415589 256 1              
3138 18.10.22 KB-Utsira 59°13.09992 4°42.02716 276 1              
3139 19.10.22 KB-Utsira 59°10.286573 4°36.74787 266 1              
3140 19.10.22 KB-Utsira 59°08.52771 4°38.033924 268 1              
3141 29.10.22 KB-Utsira 59°08.489821 4°45.28181 176 2              
3142 20.10.22 NS4 58°46.823499 9°31.262005 113 1              
3143 20.10.22 NS4 58°46.42757 9°34.34922 176 1              
St nr Dato Område Latitude Longitude Dyp Video Grabb Boxcorer Bomtrål RP-slede Multicorer CTD Gr corer
3144 20.10.22 NS4 58°45.514904 9°39.020053 234 1              
3145 20.10.22 NS4 58°47.2842 9°39.04292 179 1              
3146 20.10.22 NS4 58°50.658714 9°39.36449 119 1              
3147 20.10.22 NS4 58°46.21494 9°44.91533 413 1              
3148 21.10.22 NS4 58°50.176621 9°45.920062 146 1              
3149 21.10.22 NS4 58°52.959748 9°52.767075 276 1 8 1 1 1 1 1  
3150 21.10.22 NS4 58°54.685131 9°54.045698 147 1              
3151 21.10.22 NS4 58°52.88618 9°55.98393 129 1              
3152 21.10.22 NS4 58°52.10741 9°55.51989 146 1              
3153 21.10.22 NS4 58°47.443633 9°55.883511 184 1              
3154 21.10.22 NS4 58°49.644364 9°57.33695 179 1              
3155 21.10.22 NS4 58°51.457569 9°59.069896 161 1              
3156 21.10.22 NS4 58°55.481863 9°58.322553 38 1              
3157 21.10.22 NS4 58°54.23437 10°01.115667 94 1              
3158 22.10.22 NS4 58°51.643956 10°00.836708 215 1              
3159 22.10.22 NS4 58°46.900302 10°02.762999 310 1              
3160 22.10.22 NS4 58°46.274045 10°07.715414 239 1              
3161 22.10.22 NS4 58°52.794379 10°08.881553 178 1              
3162 22.10.22 NS4 58°55.862089 10°08.8548 124 1              
3163 22.10.22 NS4 58°50.97983 10°11.41198 193 1              
3164 22.10.22 NS4 58°47.77751 10°11.92741 193 1              
3165 22.10.22 NS4 58°48.76679 10°14.82401 170 1 5 3 1 3 1 1  
3166 22.10.22 NS4 58°55.64285 10°13.46133 121 1              
3167 23.10.22 NS4 58°52.108892 10°19.386501 182 1              
3168 23.10.22 NS4 58°45.8941 10°19.47947 165 1              
St nr Dato Område Latitude Longitude Dyp Video Grabb Boxcorer Bomtrål RP-slede Multicorer CTD Gr corer
3169 23.10.22 NS4 58°49.73065 10°20.72391 178 1              
3170 23.10.22 NS4 58°52.78211 10°21.45786 189 1              
3171 23.10.22 NS4 58°57.060423 10°21.583491 121 1              
3172 23.10.22 NS4 58°50.41764 10°25.351967 157 1              
3173 23.10.22 NS4 58°47.014971 10°28.99181 120 1              
3174 23.10.22 NS4 58°52.10831 10°27.72462 144 1              
3175 23.10.22 NS4 58°56.747492 10°29.598282 157 1 7 2 1 2 1 1  
3176 24.10.22 NS4 58°56.41599 10°33.32268 247 1              
3177 24.10.22 NS4 58°52.5302 10°32.16253 147 1              
3178 24.10.22 NS4 58°57.03291 10°38.23988 343 1              
3179 24.10.22 NS4 58°56.05391 10°44.285051 76 1              
3180 27.10.22 NS4 58°46.38168 10°32.3814 109 1              
3181 27.10.22 NS4 58°45.70876 10°21.872 158 1              
3182 27.10.22 NS4 58°44.835791 9°54.889012 321 1              
3183 27.10.22 NS4 58°44.404226 9°50.798254 412 1 7 2 1 3 1 1  
3184 29.10.22 Utsira Nord 59°01.886976 4°41.933986 277 1 6 2 1 2 1 1  
3185 29.10.22 Utsira Nord 59°04.27921 4°46.03876 254 1              
3186 29.10.22 Utsira Nord 59°09.097424 4°46.976736 235 1              
3187 29.10.22 Utsira Nord 59°30.72987 3°45.56254 258 1              
Toktnr 2023001005, FF G.O. Sars, Toktleder: Rebecca Ross 0                
3188 30.03.23 KB-Utsira 59°34.56609 4°55.817505 196 1 5 1 1 2 1 1  
3189 31.03.23 KB-Utsira 59°34.37611 4°44.30687 237 1              
3190 31.03.23 KB-Utsira 59°19.93798 4°49.59401 211 1   1     1    
3191 31.03.23 KB-Utsira 59°20.934271 4°51.000815 100 1              
3192 31.03.23 KB-Utsira 59°23.93948 4°46.16764 245 1              
St nr Dato Område Latitude Longitude Dyp Video Grabb Boxcorer Bomtrål RP-slede Multicorer CTD Gr corer
3193 31.03.23 KB-Utsira 59°24.571154 4°53.563071 120 1              
3194 31.03.23 KB-Utsira 59°25.635909 4°54.59557 140 1              
3195 31.03.23 KB-Utsira 59°27.130891 4°49.789053 203 1              
3196 01.04.23 KB-Utsira 59°07.124093 5°00.272747 236 1 7 1 1 2 1 1  
3197 01.04.23 KB-Utsira 59°13.22751 4°48.07637 246 1              
3198 01.04.23 KB-Utsira 59°07.61949 4°48.505326 243 1              
3199 01.04.23 KB-Utsira 59°05.76639 4°55.26922 243 1              
3200 02.04.23 KB-Utsira 58°58.351267 5°05.525245 247 1 6 1 1 2 1 1  
3201 02.04.23 NSJ-1 57°04.571121 5°13.354361 55 1 6 2 1 2   1  
3202 02.04.23 NSJ-1 57°00.335611 4°55.69569 57   1           1
3203 02.04.23 NSJ-1 57°08.634552 5°17.115004 45 1              
3204 02.04.23 NSJ-1 57°07.78256 5°24.58659 50 1              
3205 02.04.23 NSJ-1 57°07.169568 5°23.227406 48 1              
3206 02.04.23 NSJ-1 57°05.037649 5°26.882956 55 1              
3207 03.04.23 NSJ-1 56°59.89755 5°25.95882 49 1              
3208 04.04.23 NSJ-1 57°07.026601 5°31.101901 48 1 6 1 1 2   1  
3209 03.04.23 NSJ-1 57°09.96978 5°31.63242 50 1              
3210 03.04.23 NSJ-1 57°13.11389 5°26.78889 51 1              
3211 03.04.23 NSJ-1 57°02.47011 5°20.023234 49 1           1  
3212 03.04.23 NSJ-1 57°01.56273 5°18.04187 57 1              
3213 03.04.23 NSJ-1 57°02.93267 5°16.66043 58 1              
3214 03.04.23 NSJ-1 57°02.971146 5°20.618977 55 1              
3215 03.04.23 NSJ-1 57°22.062895 5°41.187608 73 1              
3216 03.04.23 NSJ-1 57°22.355964 5°41.875129 74 1              
3217 03.04.23 NSJ-1 57°25.08208 5°48.83085 77 1              
St nr Dato Område Latitude Longitude Dyp Video Grabb Boxcorer Bomtrål RP-slede Multicorer CTD Gr corer
3218 03.04.23 NSJ-1 57°25.150455 5°57.549694 75 1              
3219 03.04.23 NSJ-1 57°22.049571 5°54.077299 76 1              
3220 03.04.23 NSJ-1 57°21.552627 5°52.729494 78 1              
3221 04.04.23 NSJ-1 57°20.862025 5°45.00829 74 1              
3222 05.04.23 NSJ-1 57°17.5546 5°50.027335 71 2              
3223 04.04.23 NSJ-1 57°13.206064 5°42.41038 56   1           1
3224 04.04.23 NSJ-1 57°36.850482 6°02.044474 143 1 5 2 1 2 1 1  
3225 05.04.23 NSJ-1 57°22.654533 5°41.770684 77 1           1  
3226 05.04.23 NSJ-1 57°18.190169 5°39.464465 68 1              
3227 05.04.23 NSJ-1 57°15.359132 5°37.309215 56 1              
3228 05.04.23 NSJ-1 57°16.716119 5°32.899583 58 1           1  
3229 05.04.23 NSJ-1 57°13.870288 5°28.264293 53 1              
3230 05.04.23 NSJ-1 57°16.41007 5°43.66968 67 1              
3231 05.04.23 NSJ-1 57°19.4708 5°52.663 74 1              
3232 06.04.23 NSJ-1 57°21.390961 6°00.790847 77 1              
3233 06.04.23 NSJ-1 57°22.928856 6°05.103277 79 1              
3234 06.04.23 NSJ-1 57°25.834748 6°07.474915 72 1              
3235 06.04.23 NSJ-1 57°27.65818 6°12.41761 95 1              
3236 06.04.23 NSJ-1 57°31.273249 6°15.395719 90 1              
3237 06.04.23 NSJ-1 57°31.998325 6°17.694836 104 1              
3238 06.04.23 NSJ-1 57°32.655024 6°09.339086 94 1              
3239 06.04.23 NSJ-1 57°31.202038 6°08.233018 95 1              
3240 06.04.23 NSJ-1 57°30.62354 6°04.64164 68 1              
3241 06.04.23 NSJ-1 57°29.594341 6°02.619701 83 1              
3242 06.04.23 NSJ-1 57°27.39881 6°02.30041 88 1              
St nr Dato Område Latitude Longitude Dyp Video Grabb Boxcorer Bomtrål RP-slede Multicorer CTD Gr corer
3243 06.04.23 NSJ-1 57°28.360931 5°56.307874 88 1              
3244 06.04.23 NSJ-1 57°31.265793 5°57.437749 86 1              
3245 06.04.23 NSJ-1 57°34.24541 6°01.12473 125 1              
3246 06.04.23 NSJ-1 57°36.428221 6°05.920326 145 1              
3247 06.04.23 NSJ-1 57°36.064554 6°09.271194 143 1              
3248 07.04.23 NSJ-2 57°12.016977 6°26.4163 65 1              
3249 07.04.23 NSJ-2 57°10.244637 6°26.917361 67 1              
3250 07.04.23 NSJ-2 57°09.434591 6°22.841469 66 1              
3251 07.04.23 NSJ-2 57°09.765662 6°19.717549 67 1              
3252 07.04.23 NSJ-2 57°08.662609 6°13.291586 64 1              
3253 07.04.23 NSJ-2 57°04.36257 6°00.70523 46 1              
3254 07.04.23 NSJ-2 57°04.425761 5°58.867373 44 1              
3255 07.04.23 KB-Utsira 58°49.872496 5°04.895803 203 1              
3256 08.04.23 KB-Utsira 58°49.120697 5°11.148557 193 1              
3257 08.04.23 KB-Utsira 58°50.02843 5°16.42541 121 1              
3258 08.04.23 KB-Utsira 58°49.691813 5°17.642872 85 1              
3259 08.04.23 KB-Utsira 58°50.664598 5°18.641798 75 1              
3260 08.04.23 KB-Utsira 58°51.359827 5°22.854051 102 1              
3261 08.04.23 KB-Utsira 58°53.36448 5°23.68163 92 1              
3262 08.04.23 KB-Utsira 58°53.085995 5°20.840681 116 1 6 1 1 2   1  
3263 08.04.23 KB-Utsira 58°52.38648 5°18.84078 114 1              
3264 08.04.23 KB-Utsira 58°51.754842 5°16.841847 114 1              
3265 08.04.23 KB-Utsira 58°51.523007 5°12.56747 163 1              
3266 08.04.23 KB-Utsira 58°50.622104 5°10.088271 186 1              
3267 08.04.23 KB-Utsira 58°51.05578 5°07.09188 198 1              
St nr Dato Område Latitude Longitude Dyp Video Grabb Boxcorer Bomtrål RP-slede Multicorer CTD Gr corer
3268 08.04.23 KB-Utsira 58°52.332308 5°07.699241 198 1              
3269 08.04.23 KB-Utsira 58°53.710882 5°09.125954 173 1              
3270 08.04.23 KB-Utsira 58°52.970031 5°12.407928 145 1              
3271 08.04.23 KB-Utsira 58°54.49593 5°19.82454 117 1              
3272 08.04.23 KB-Utsira 58°54.228353 5°21.387097 115 1              
3273 08.04.23 KB-Utsira 58°55.672574 5°22.276164 58 1              
3274 09.04.23 KB-Utsira 58°55.545876 5°20.102381 126 1              
3275 09.04.23 KB-Utsira 58°55.073671 5°10.798098 159 1              
3276 09.04.23 KB-Utsira 58°54.864179 5°07.044039 190 1              
3277 09.04.23 KB-Utsira 58°56.42815 5°11.86571 251 1              
3278 09.04.23 KB-Utsira 58°56.64589 5°18.48621 151 1              
3279 09.04.23 KB-Utsira 58°57.229213 5°19.773017 121 1              
3280 09.04.23 KB-Utsira 58°57.70006 5°17.84614 254 1              
3281 09.04.23 KB-Utsira 59°01.085608 4°54.547784 235 1              
3282 09.04.23 KB-Utsira 59°08.675217 5°05.614099 166 1              
3283 09.04.23 KB-Utsira 59°07.85983 5°08.889798 124 1              
3284 09.04.23 KB-Utsira 59°05.73934 5°08.53838 165 2 1            
3285 09.04.23 KB-Utsira 59°05.395985 5°10.352258 161 1              
3286 09.04.23 KB-Utsira 59°04.235114 5°11.080321 182 1              
3287 10.04.23 KB-Utsira 59°02.30928 5°15.26556 261 1              
3288 10.04.23 Boknafjorden 59°07.96931 5°58.290456 260 1           1  
3289 10.04.23 Boknafjorden 59°07.925376 5°58.906575 251 1              
3290 10.04.23 Boknafjorden 59°07.852897 5°58.035062 289 1              
3291 11.04.23 KB-Utsira 58°59.2372 5°21.033061 88 1              
3292 11.04.23 KB-Utsira 59°00.292046 5°18.718235 277 1              
St nr Dato Område Latitude Longitude Dyp Video Grabb Boxcorer Bomtrål RP-slede Multicorer CTD Gr corer
3293 11.04.23 KB-Utsira 59°00.65874 5°14.25178 230 1              
3294 11.04.23 KB-Utsira 59°11.204231 5°00.325182 182 1              
3295 11.04.23 KB-Utsira 59°13.29444 4°51.609252 217 1              
3296 11.04.23 KB-Utsira 59°26.916144 4°46.075657 237 1              
3297 11.04.23 KB-Utsira 59°28.291018 4°56.963667 178 1              
3298 11.04.23 KB-Utsira 59°30.623575 4°57.960214 144 1              
3299 11.04.23 KB-Utsira 59°31.145427 4°55.161648 147 1              
3300 11.04.23 KB-Utsira 59°32.364076 4°56.726464 171 1              
3301 11.04.23 KB-Utsira 59°31.988269 4°50.220154 195 1              
Toktnr 2023001009, FF G.O. Sars, Toktleder: Pål Buhl-Mortensen 0                
3183 12.07.23 KB-Skagerrak 58°44.040056 9°49.80229 394 1 7 2 1 3 1 1  
3188 03.07.23 KB-Utsira 59°34.511578 4°55.864912 194 1 5 1 1 2 1 1  
3190 04.07.23 KB-Utsira 59°19.92759 4°49.73522 205 1   1     1    
3196 04.07.23 KB-Utsira 59°07.11861 5°00.121784 237 1 7 1 1 2 1 1  
3200 04.07.23 KB-Utsira 58°58.3688 5°05.623504 248 1 6 1 1 2 1 1  
3201 05.07.23 NSJ-1 57°04.592803 5°13.46598 57 1 6 2 1 2   1  
3208 05.07.23 NSJ-1 57°06.987918 5°31.150091 50 1 6 1 1 2   1  
3224 06.07.23 NSJ-1 57°36.796448 6°02.011973 145 1 5 2 1 2 1 1  
3262 05.07.23 KB-Utsira 58°53.085092 5°20.726362 118 1 6 1 1 2   1  
3302 04.07.23 KB-Utsira 58°49.168005 5°20.499999 81 1              
3303 06.07.23 Skagerrak 58°10.35179 9°25.58006 634 1 3 3 1 2 1 1  
3304 07.07.23 Skagerrak 58°08.83739 9°20.17345 627 1              
3305 07.07.23 Skagerrak 58°14.9894 9°13.13094 484 1              
3306 07.07.23 Skagerrak 58°15.49299 9°15.60666 631 1              
3307 07.07.23 Skagerrak 58°18.89767 9°20.90007 585 1              
3308 07.07.23 Skagerrak 58°23.41199 9°20.92952 409 1              
3309 07.07.23 Skagerrak 58°24.532242 9°26.420425 515 1              
3310 07.07.23 Skagerrak 58°22.170029 9°29.124068 589 1 2 1 1 2 1 1  
3311 07.07.23 Skagerrak 58°22.479686 9°33.369808 632 1              
3312 07.07.23 Skagerrak 58°20.251902 9°30.057201 605 1              
3313 08.07.23 Skagerrak 58°19.023727 9°36.409919 676 1              
3314 08.07.23 Skagerrak 58°18.335919 9°28.385569 621 1              
3315 08.07.23 Skagerrak 58°15.875413 9°26.511132 681 1              
3316 08.07.23 Skagerrak 58°12.62526 9°25.686133 653 1              
3317 08.07.23 Skagerrak 58°12.977754 9°27.873513 650 1              
3318 08.07.23 Skagerrak 58°06.857311 9°39.245022 453 1              
3319 08.07.23 Skagerrak 58°09.99994 9°43.17854 512 1              
3320 08.07.23 Skagerrak 58°11.921971 9°38.612784 564 1              
3321 08.07.23 Skagerrak 58°13.184619 9°42.004518 536 1              
3322 09.07.23 Skagerrak 58°13.059518 9°38.450813 557 1              
3323 09.07.23 Skagerrak 58°14.978199 9°37.944649 607 1              
3324 09.07.23 Skagerrak 58°17.13081 9°38.712829 684 1              
3325 09.07.23 Skagerrak 58°17.753328 9°43.854333 618 1              
3326 09.07.23 Skagerrak 58°16.085843 9°45.62962 589 1              
3327 09.07.23 Skagerrak 58°15.42668 9°48.7257 540 1              
3328 09.07.23 Skagerrak 58°13.811588 9°54.224196 486 1 6 1 1 2 1 1  
3329 09.07.23 Skagerrak 58°18.16003 9°59.92819 481 1              
3330 09.07.23 Skagerrak 58°18.78336 9°51.75012 555 1              
3331 09.07.23 Skagerrak 58°19.47574 9°50.67573 564 1              
3332 10.07.23 Skagerrak 58°23.692143 9°41.033516 677 1              
3333 10.07.23 Skagerrak 58°26.424356 9°41.981323 697 1 3 1 1 2 1 1  
3334 11.07.23 Skagerrak 58°29.637485 9°43.782695 668 1              
3335 11.07.23 Skagerrak 58°30.708558 9°50.828272 601 1              
3336 11.07.23 Skagerrak 58°28.13451 9°51.462858 462 1              
3337 11.07.23 Skagerrak 58°26.614528 9°47.862584 577 1              
St nr Dato Område Latitude Longitude Dyp Video Grabb Boxcorer Bomtrål RP-slede Multicorer CTD Gr corer
3338 11.07.23 Skagerrak 58°26.55112 9°48.055867 540 1              
3339 11.07.23 Skagerrak 58°25.94144 9°53.40633 470 1              
3340 11.07.23 Skagerrak 58°24.52777 9°59.73072 533 1              
3341 11.07.23 Skagerrak 58°20.634418 10°01.912713 488 1              
3342 11.07.23 Skagerrak 58°24.92321 10°03.08338 515 1              
3343 11.07.23 Skagerrak 58°29.10352 10°00.74711 546 1              
3344 11.07.23 Skagerrak 58°30.034987 10°06.307699 494 1              
3345 11.07.23 Skagerrak 58°28.028094 10°04.932561 537 1         1    
3346 12.07.23 KB-Skagerrak 58°43.063085 9°44.258266 435 1              
3347 12.07.23 KB-Skagerrak 58°40.34299 9°44.18271 430 1              
3348 12.07.23 KB-Skagerrak 58°40.301646 9°41.143094 378 1              
3349 12.07.23 KB-Skagerrak 58°39.63285 9°37.92247 403 1              
3350 12.07.23 KB-Skagerrak 58°39.7641 9°32.58665 321 1              
3351 12.07.23 KB-Skagerrak 58°41.886185 9°29.596325 250 1              
3352 12.07.23 KB-Skagerrak 58°38.556445 9°25.411592 304 1              
3353 12.07.23 KB-Skagerrak 58°40.572585 9°18.664026 101 1              
3354 12.07.23 KB-Skagerrak 58°37.13153 9°18.81634 213 1              
3355 12.07.23 KB-Skagerrak 58°35.75693 9°15.8684 204 1              
3356 13.07.23 KB-Skagerrak 58°31.362788 9°04.471306 91 1              
3357 13.07.23 KB-Skagerrak 58°31.116459 9°07.57078 189 1              
3358 13.07.23 KB-Skagerrak 58°27.244015 9°11.864771 376 1              
3359 13.07.23 KB-Skagerrak 58°25.595998 9°08.603032 427 1              
3360 13.07.23 KB-Skagerrak 58°26.550391 9°05.950174 314 1              
3361 13.07.23 KB-Skagerrak 58°26.929107 9°04.558511 354 1              
3362 13.07.23 KB-Skagerrak 58°27.408589 9°03.354421 223 1              
3363 13.07.23 KB-Skagerrak 58°25.360451 8°54.366172 87 1              
3364 13.07.23 KB-Skagerrak 58°25.280037 8°59.655911 217 1              
3365 14.07.23 KB-Skagerrak 58°22.62689 9°01.031184 315   9 2 1 2 1 1  
St nr Dato Område Latitude Longitude Dyp Video Grabb Boxcorer Bomtrål RP-slede Multicorer CTD Gr corer
Toktnr 2023001014, FF G.O. Sars, Toktleder: Kyrre Heldal Kartveit 0                
3284 08.10.23 KB-Utsira 59°05.736706 5°08.540245 169 2 1            
3366 09.10.23 NS-SK 58°50.10611 9°41.552 138 1              
3367 09.10.23 NS-SK 58°50.09027 9°46.69346 211 1              
3368 10.10.23 NS-SK 58°51.345779 9°49.011186 257 1              
3369 10.10.23 NS-SK 58°51.514426 9°51.783278 372 1              
3370 11.10.23 NS-SK 59°15.113391 10°34.09767 167 4              
3371 10.10.23 NS-SK 58°47.893754 10°12.30776 192   6 1 2 1      
3372 10.10.23 NS-SK 58°54.56722 9°52.46394 248 1              
3373 10.10.23 NS-SK 58°56.91979 9°48.40499 240 1              
3374 11.10.23 NS-SK 59°14.749583 10°33.893925 133 2              
3375 11.10.23 NS-SK 59°14.577286 10°34.655381 139 1              
3376 12.10.23 NS-SK 59°14.05902 10°34.97374 138 1              
3377 13.10.23 Utenfor Lista 58°07.23843 6°28.8977 298 2              
3378 14.10.23 Hardanger 59°42.076769 5°25.629575 172 1              
3379 14.10.23 Hardanger 59°48.47785 5°35.54818 165 1              
3380 14.10.23 Hardanger 59°56.96592 5°47.15349 414 1              
3381 14.10.23 Hardanger 60°20.0598 6°15.75456 846 1              
Toktnr 202400703, FF Kronprins Haakon, Toktleder: Kyrre Heldal Kartveit 0                
3382 08.03.24 VestavindB 60°52.423785 3°57.143619 326 1           1  
3383 09.03.24 VestavindB 60°53.350612 3°58.643311 326 1              
3384 09.03.24 VestavindB 60°56.312829 3°55.521695 335 1              
3385 09.03.24 VestavindB 60°57.540835 3°56.214697 336 1              
3386 09.03.24 VestavindB 60°57.876715 3°44.724012 342 1              
3387 09.03.24 VestavindB 60°53.812345 3°49.948928 339 1              
St nr Dato Område Latitude Longitude Dyp Video Grabb Boxcorer Bomtrål RP-slede Multicorer CTD Gr corer
3388 09.03.24 VestavindB 60°54.146621 3°44.979863 342 1 7   1 2 1 1  
3389 10.03.24 VestavindB 60°48.569084 3°54.681848 328 1              
3390 10.03.24 VestavindB 60°47.859152 3°42.94124 335 1              
3391 10.03.24 VestavindB 60°47.876483 3°31.886598 329 1              
3392 10.03.24 VestavindB 60°50.502846 3°20.667798 341 1              
3393 10.03.24 VestavindB 60°55.151422 3°19.88734 345 1 5 1 1 2 1 1  
3394 10.03.24 VestavindB 60°59.407927 3°28.37223 338 1              
3395 11.03.24 VestavindB 60°58.872972 3°08.469554 360 1              
3396 11.03.24 VestavindB 60°56.709745 3°11.507793 365 1              
3397 11.03.24 VestavindB 60°54.581673 3°12.528017 352 1              
3398 11.03.24 VestavindB 60°56.736919 3°16.986208 349 1              
3399 11.03.24 VestavindB 60°57.102824 3°21.605766 348 1              
3400 11.03.24 VestavindB 60°40.797175 3°29.682297 318 1              
3401 11.03.24 VestavindB 60°43.249314 3°35.839237 314 1              
3402 11.03.24 VestavindB 60°54.581688 3°12.52782 346 1              
3403 11.03.24 VestavindB 60°44.222926 3°47.664576 332 1              
3404 11.03.24 VestavindB 60°44.186633 3°54.850995 319 1 7   1 2 1 1  
3405 13.03.24 NSJ-2 56°30.144641 4°36.392866 64 1           1  
3406 13.03.24 NSJ-2 56°31.264705 4°39.91178 63 1              
3407 13.03.24 NSJ-2 56°33.666487 4°42.713108 64 1              
3408 13.03.24 NSJ-2 56°35.872658 4°36.546395 63 1              
3409 13.03.24 NSJ-2 56°34.805474 4°42.236769 63 1              
3410 13.03.24 NSJ-2 56°36.93947 4°41.7044 62 1              
3411 14.03.24 NSJ-2 56°35.503895 4°45.087102 63 1              
3412 14.03.24 NSJ-2 56°39.624673 4°54.193576 63 1              
St nr Dato Område Latitude Longitude Dyp Video Grabb Boxcorer Bomtrål RP-slede Multicorer CTD Gr corer
3413 14.03.24 NSJ-2 56°40.859749 4°57.379758 63 1              
3414 15.03.24 NSJ-2 56°37.026906 4°54.630751 64 1 5 4 1 2   1  
3415 14.03.24 NSJ-2 56°39.308982 5°07.553393 63 1              
3416 14.03.24 NSJ-2 56°37.949777 5°06.811422 64 1              
3417 14.03.24 NSJ-2 56°40.199975 5°14.581121 61 1              
3418 14.03.24 NSJ-2 56°42.371089 5°17.142056 60 1              
3419 14.03.24 NSJ-2 56°42.440704 5°17.756362 60 1              
3420 14.03.24 NSJ-2 56°44.008177 5°24.493638 57 1              
3421 15.03.24 NSJ-2 56°45.697963 5°27.314717 55 1              
3422 15.03.24 NSJ-2 56°45.977881 5°24.495069 54 1              
3423 15.03.24 NSJ-2 56°44.932366 5°21.224065 56 1              
3424 15.03.24 NSJ-2 56°45.605614 5°19.476206 60 1              
3425 15.03.24 NSJ-2 56°44.008716 5°11.984753 61 1 5 1 1 2 1 1  
3426 15.03.24 NSJ-2 56°49.047103 5°13.955578 58 1              
3427 15.03.24 NSJ-2 56°49.025359 5°19.581646 57 1              
3428 16.03.24 NSJ-2 56°48.783793 5°23.268918 54 1              
3429 16.03.24 NSJ-2 56°51.011427 5°26.714002 52 1              
3430 16.03.24 NSJ-2 56°53.785226 5°32.406736 50 1              
3431 16.03.24 NSJ-2 56°56.885714 5°46.497189 53 1              
3432 16.03.24 NSJ-2 56°58.865514 5°52.641569 57 1              
3433 16.03.24 NSJ-2 56°59.940497 5°58.334262 51 1              
3434 16.03.24 NSJ-2 57°01.213361 6°03.256772 20 1              
3435 17.03.24 NSJ-2 56°56.507343 5°42.435547 54 1 6 1 1 2   1  
3436 17.03.24 NSJ-2 56°53.616489 5°19.014269 54 1              
3437 17.03.24 NSJ-2 56°54.084452 5°18.089622 55 1              
St nr Dato Område Latitude Longitude Dyp Video Grabb Boxcorer Bomtrål RP-slede Multicorer CTD Gr corer
3438 17.03.24 NSJ-2 56°54.615683 5°05.967131 59 1              
3439 17.03.24 NSJ-2 56°55.472814 5°01.805005 61 1              
3440 17.03.24 NSJ-2 56°57.338373 4°57.707383 61 1              
3441 17.03.24 NSJ-2 56°59.049541 4°55.931157 61 1 6         1  
3442 17.03.24 NSJ-2 56°53.159184 4°59.706615 64 1              
3443 17.03.24 NSJ-2 56°52.535335 5°07.033735 59 1              
3444 18.03.24 NSJ-2 56°49.955579 5°09.644712 62 1              
3445 18.03.24 NSJ-2 56°52.741388 5°10.606777 59 1              
3446 18.03.24 NSJ-2 56°52.409559 5°13.991813 56 1              
3447 18.03.24 NSJ-2 56°51.762304 5°23.570035 53 1              
3448 18.03.24 NSJ-2 56°54.384106 5°24.348117 52 1              
3449 18.03.24 NSJ-2 56°55.67551 5°30.272499 52 1              
3450 18.03.24 NSJ-2 56°59.316479 5°37.324202 53 1              
3451 18.03.24 NSJ-2 56°59.072368 5°40.415524 55 1              
3452 18.03.24 NSJ-2 57°02.763235 5°51.742503 52 1              
3453 18.03.24 NSJ-2 57°03.175026 5°58.124452 51 1              
3454 18.03.24 NSJ-2 57°04.236418 5°58.074601 42 1              
3455 18.03.24 NSJ-2 57°02.311072 6°06.12372 50 1              
3456 18.03.24 NSJ-2 57°06.409453 6°06.429411 49 1              
3457 18.03.24 NSJ-2 57°05.853332 6°11.86867 50 1              
3458 18.03.24 NSJ-2 57°07.374348 6°18.5352 58 1              
3459 18.03.24 NSJ-2 57°08.927587 6°26.505522 66 1              
3460 19.03.24 NSJ-2 57°09.234384 6°28.757502 124 1              
3461 19.03.24 NSJ-2 57°12.459197 6°32.644633 68 1              
3462 19.03.24 NSJ-2 57°14.101144 6°36.902901 70 1              
St nr Dato Område Latitude Longitude Dyp Video Grabb Boxcorer Bomtrål RP-slede Multicorer CTD Gr corer
3463 19.03.24 NSJ-2 57°15.233039 6°31.867434 71 1              
3464 19.03.24 NSJ-2 57°16.295096 6°36.468692 74 1              
3465 19.03.24 NSJ-2 57°18.529665 6°41.486631 81 1              
Toktnr 2024001021, FF G.O. Sars, Toktleder: Hilde Elise Heldal 0                
3425 01.12.24 NSJ-2 56°43.92507 5°11.88571 64 1 5 1 1 2 1 1  
3555 22.11.24 Vestavind-F 59°29.419944 4°30.996271 266 1              
3556 22.11.24 Vestavind-F 59°29.605781 4°18.388366 267 1              
3557 22.11.24 Vestavind-F 59°25.69029 4°16.28671 260 1              
3558 22.11.24 Vestavind-F 59°24.974125 4°23.215686 261 1              
3559 22.11.24 Vestavind-F 59°25.606434 4°27.067908 261 1              
3560 22.11.24 Vestavind-F 59°21.788068 4°14.538856 272 1 5 1 1 2 1 1  
3561 23.11.24 Vestavind-F 59°19.164007 4°20.242192 266 1              
3562 23.11.24 Vestavind-F 59°21.748854 4°25.799291 263 1              
3563 23.11.24 Vestavind-F 59°16.180515 4°26.191201 260 1              
3564 23.11.24 Vestavind-F 59°09.40123 4°30.50598 249 1              
3565 23.11.24 Vestavind-F 59°05.417142 4°28.885376 257 1 6   1 1 1 1  
3566 25.11.24 Boknafjorden 59°15.503879 5°41.184034 265 1              
3567 25.11.24 Boknafjorden 59°23.121324 6°02.385884 62 1           1  
3568 26.11.24 Boknafjorden 59°16.97363 5°50.04657 130 3              
3569 26.11.24 Boknafjorden 59°15.048712 5°39.531297 244 1              
3570 26.11.24 Boknafjorden 59°15.618912 5°40.915956 235 1              
3571 27.11.24 Vestavind-F 59°07.729427 4°13.597587 279 1              
3572 27.11.24 Vestavind-F 59°03.01932 4°18.38398 261 1              
3573 27.11.24 Vestavind-F 59°00.119175 4°18.235404 270 1              
3574 27.11.24 Vestavind-F 59°04.696602 4°22.794213 259 1              
St nr Dato Område Latitude Longitude Dyp Video Grabb Boxcorer Bomtrål RP-slede Multicorer CTD Gr corer
3575 27.11.24 Vestavind-F 59°03.35135 4°34.90869 255 1              
3576 27.11.24 Vestavind-F 59°00.548669 4°44.055421 271 1              
3577 27.11.24 Vestavind-F 59°00.437713 4°46.431825 274 1              
3578 28.11.24 Sørvest-F 57°12.715586 4°30.229773 63 1 1            
3579 28.11.24 Sørvest-F 57°08.46851 4°31.76798 58 1 8   1 2 1 1  
3580 28.11.24 Sørvest-F 57°05.315512 4°43.131777 63 1 1            
3581 28.11.24 Sørvest-F 57°06.89339 4°36.407125 63 1 1            
3582 28.11.24 Sørvest-F 57°05.640072 4°29.5385 62 1 1            
3583 28.11.24 Sørvest-F 57°02.474657 4°29.875754 66 1 1            
3584 29.11.24 Sørvest-F 56°59.415908 4°30.32477 65 1 1            
3585 29.11.24 Sørvest-F 56°58.085986 4°32.4272 65 1 1            
3586 29.11.24 Sørvest-F 56°57.117989 4°39.99021 66 1              
3587 29.11.24 Sørvest-F 56°59.678537 4°42.13237 66 1 1            
3588 29.11.24 Sørvest-F 57°02.115415 4°46.960015 65 1 1            
3589 29.11.24 Sørvest-F 56°52.68573 4°53.130981 66 1 6 1 2 2   1  
3590 29.11.24 Sørvest-F 56°45.414816 4°41.94344 61 1 7 1 2 2   1  
3591 30.11.24 Sørvest-F 56°47.615683 4°29.614054 60 1 6 1 2 2   1  
3592 30.11.24 Sørvest-F 56°47.042719 4°33.728253 61 1 1            
3593 30.11.24 Sørvest-F 56°52.145394 4°33.887811 64 1 1            
3594 30.11.24 Sørvest-F 56°52.447318 4°42.95973 65 1              
3595 01.12.24 Sørvest-F 56°43.032386 4°37.139097 60 1 1            
3596 01.12.24 Sørvest-F 56°38.56386 4°33.82458 63 1 1            
3597 01.12.24 Sørvest-F 56°44.41794 4°54.46375 61 1 1            
3598 01.12.24 Sørvest-F 56°45.710137 5°02.256471 62 1 1            
3599 01.12.24 NSJ-1 56°59.559151 5°15.420209 56 1 5 1 1 2 2 1  
St nr Dato Område Latitude Longitude Dyp Video Grabb Boxcorer Bomtrål RP-slede Multicorer CTD Gr corer
3600 01.12.24 Sørvest-F 57°50.647998 5°52.637683 224 1 6 3 1 2 1 1  
3601 03.12.24 KB Jæren 58°04.976295 6°28.718862 368 1 8   1 2 1 1  
3602 02.12.24 KB Jæren 58°04.03598 6°27.69674 359 1              
3603 02.12.24 KB Jæren 58°03.221626 6°29.899901 367 1              
3604 02.12.24 KB Jæren 58°01.037121 6°44.118045 104 1              
3605 02.12.24 Fedafjorden 58°15.48966 6°50.22603 65 1 1            
3606 03.12.24 KB Jæren 58°10.449743 6°21.114221 325 1              
3607 03.12.24 KB Jæren 58°05.442384 6°31.949649 327 1              
Toktnr 2025001009, FF G.O. Sars, Toktleder: Genoveva Gonzalez-Mirelis 0                
3589 21.06.25 Sørvest-F 56°52.897876 4°52.785883 65 1 6 1 2 2   1  
3591 21.06.25 Sørvest-F 56°47.638284 4°29.598947 59 1 6 1 2 2   1  
3599 23.06.25 Sørvest-F 56°59.472293 5°15.359009 55 1 5 1 1 2 2 1  
3600 26.06.25 NS3-B1 57°50.678858 5°52.438442 223 1 6 3 1 2 1 1  
3608 20.06.25 NS_Gas flare extra station 57°11.584571 4°57.570339 62 2              
3609 20.06.25 Sørvest-F 56°36.510681 4°29.561387 64 1              
3610 20.06.25 Sørvest-F 56°36.71328 4°31.75853 60 1              
3611 20.06.25 Sørvest-F 56°40.71162 4°29.78596 52 1              
3612 20.06.25 Sørvest-F 56°41.04648 4°27.384 48 1              
3613 20.06.25 Sørvest-F 56°43.63312 4°28.02693 50 1              
3614 21.06.25 Sørvest-F 56°45.86928 4°28.02578 53 1              
3615 21.06.25 Sørvest-F 56°41.009622 4°33.249397 59 1              
3616 21.06.25 Sørvest-F 56°46.419238 4°35.684676 59 1              
3617 21.06.25 Sørvest-F 56°39.475406 4°41.413189 60 1              
3618 21.06.25 Sørvest-F 56°54.67373 4°37.55152 60 1              
3619 21.06.25 Sørvest-F 56°49.091193 4°41.818894 62 1              
St nr Dato Område Latitude Longitude Dyp Video Grabb Boxcorer Bomtrål RP-slede Multicorer CTD Gr corer
3620 21.06.25 Sørvest-F 56°41.766705 4°47.419045 60 1              
3621 21.06.25 Sørvest-F 56°40.892685 4°50.122939 60 1              
3622 21.06.25 Sørvest-F 56°42.186755 4°52.885838 60 1              
3623 21.06.25 Sørvest-F 56°44.74701 5°00.03641 57 1              
3624 21.06.25 Sørvest-F 56°49.31857 4°54.41952 59 1              
3625 21.06.25 Sørvest-F 57°02.033927 4°49.111809 64 1              
3626 22.06.25 Sørvest-F 57°00.985362 4°49.844194 63 1              
3627 22.06.25 Sørvest-F 56°56.273346 4°54.58905 66 1              
3628 22.06.25 Sørvest-F 56°53.08938 4°57.81326 61 1              
3629 22.06.25 Sørvest-F 56°47.18603 5°02.16432 58 1              
3630 22.06.25 Sørvest-F 56°49.470246 4°59.506659 62 1              
3631 22.06.25 Sørvest-F 56°56.186723 5°02.001123 67 1              
3632 22.06.25 Sørvest-F 56°56.019853 5°04.29399 60 1              
3633 22.06.25 Sørvest-F 56°56.945681 5°03.066243 60 1              
3634 22.06.25 NSJ-1 56°58.3802 5°02.606622 61 1              
3635 22.06.25 NSJ-1 57°02.724148 5°01.865136 56 1              
3636 22.06.25 NSJ-1 56°59.31466 5°02.92687 55 1              
3637 22.06.25 NSJ-1 56°57.796797 5°03.784571 60 1              
3638 22.06.25 NSJ-1 56°57.324193 5°06.293945 61 1              
3639 22.06.25 NSJ-1 56°57.779317 5°07.344685 59 1              
3640 22.06.25 NSJ-1 56°56.556303 5°09.450429 56 1              
3641 22.06.25 NSJ-1 56°57.983667 5°09.445779 57 1              
3642 22.06.25 NSJ-1 56°56.479112 5°12.365597 55 1              
3643 22.06.25 NSJ-1 56°58.079966 5°12.027288 59 1              
3644 23.06.25 NSJ-1 57°01.84858 5°10.384313 54 1              
St nr Dato Område Latitude Longitude Dyp Video Grabb Boxcorer Bomtrål RP-slede Multicorer CTD Gr corer
3645 23.06.25 NSJ-1 57°04.473502 5°07.405909 61 1              
3646 23.06.25 Sørvest-F 57°04.74094 5°09.92806 59 1              
3647 23.06.25 Sørvest-F 57°03.141245 5°10.545032 57 1              
3648 23.06.25 Sørvest-F 56°59.185893 5°12.236651 59 1              
3649 23.06.25 Sørvest-F 57°00.091963 5°13.194679 58 1              
3650 23.06.25 Sørvest-F 57°01.041129 5°13.654155 58 1              
3651 23.06.25 NSJ-1 57°08.903464 5°16.846734 54 1              
3652 23.06.25 NSJ-1 57°08.633211 5°21.530078 55 1              
3653 23.06.25 NSJ-1 56°59.991638 5°22.957895 53 1              
3654 23.06.25 NSJ-1 57°04.577953 5°33.410782 52 1              
3655 23.06.25 NSJ-1 57°06.026345 5°36.911226 47 1              
3656 23.06.25 NSJ-1 57°10.752066 5°38.925398 0 1              
3657 24.06.25 NSJ-1 57°09.922854 5°42.921986 53 1              
3658 24.06.25 NSJ-1 57°12.040754 5°43.927348 56 1              
3659 24.06.25 NSJ-1 57°13.664146 5°43.794098 59 1              
3660 24.06.25 NSJ-1 57°20.575069 5°59.038356 77 2              
3661 24.06.25 NSJ-1 57°28.076228 6°02.369604 84 1              
3662 24.06.25 NS3-B1 57°36.910128 6°21.085097 153 2              
3663 24.06.25 NS3-B1 57°45.338582 6°19.825203 281 1 7 1 1 2 1 1  
3664 25.06.25 NS3-B1 57°55.764078 5°51.027069 257 1 5 4 1 2 1 1  
3665 25.06.25 NS3-B1 58°09.052377 5°20.187543 291 1 5 1 1 2 1 1  
3666 25.06.25 NS3-B1 58°15.419037 4°51.540492 303 1 7 3 1 2 1 1  
3667 26.06.25 NS3-B1 58°19.818593 4°48.394939 294 1 7 1 1 2 1 1  
3668 27.06.25 NS3-B1 58°16.82713 6°01.17341 276 1              
3669 27.06.25 NS3-B1 57°40.495068 6°24.106151 199 1              
St nr Dato Område Latitude Longitude Dyp Video Grabb Boxcorer Bomtrål RP-slede Multicorer CTD Gr corer
3670 28.06.25 NS3-B1 57°41.9528 6°23.38579 299 1              
3671 28.06.25 NS3-B1 57°40.945812 6°22.427166 231 1              
3672 28.06.25 NS3-B1 57°41.058982 6°20.552317 248 2              
3673 28.06.25 NS3-B1 57°38.79344 6°19.68282 151 1              
3674 28.06.25 NS3-B1 57°37.13909 6°15.51676 151 1              
3675 28.06.25 NS3-B1 57°40.62742 6°14.2587 193 1              
3676 28.06.25 NS3-B1 57°41.627725 6°16.730053 268 1              
3677 28.06.25 NS3-B1 57°49.993256 6°14.772332 288 1              
3678 28.06.25 NS3-B1 57°44.43015 6°10.63612 261 1              
3679 28.06.25 NS3-B1 57°46.983186 6°08.402359 261 1              
3680 28.06.25 NS3-B1 57°44.683509 6°04.187538 218 1              
3681 28.06.25 NS3-B1 57°40.91721 6°03.60099 150 1              
3682 28.06.25 NS3-B1 57°44.229388 6°00.228242 182 1              
3683 28.06.25 NS3-B1 57°45.883533 6°02.219375 252 1              
3684 29.06.25 NS3-B1 57°51.108901 6°00.838474 257 1              
3685 29.06.25 NS3-B1 57°54.53734 6°09.96364 295 1              
3686 29.06.25 NS3-B1 57°56.327399 6°05.661047 300 1              
3687 29.06.25 NS3-B1 57°57.04975 5°54.65953 273 1              
3688 29.06.25 NS3-B1 57°54.85436 5°57.03916 264 1              
3689 29.06.25 NS3-B1 57°48.456778 5°51.431323 211 1              
3690 29.06.25 NS3-B1 57°46.03378 5°49.50183 150 1              
3691 29.06.25 NS3-B1 57°51.450856 5°43.089697 193 1              
3692 30.06.25 NS3-B1 57°59.26018 5°44.25597 261 1              
3693 30.06.25 NS3-B1 58°03.67564 5°40.90591 282 1              
3694 30.06.25 NS3-B1 57°55.71262 5°33.65274 189 1              
St nr Dato Område Latitude Longitude Dyp Video Grabb Boxcorer Bomtrål RP-slede Multicorer CTD Gr corer
3695 30.06.25 NS3-B1 57°57.978135 5°31.592925 213 1              
3696 30.06.25 NS3-B1 57°58.87913 5°30.76364 215 1              
3697 30.06.25 NS3-B1 57°56.31363 5°25.43413 162 1              
3698 30.06.25 NS3-B1 58°00.492954 5°25.098806 217 1              
3699 30.06.25 NS3-B1 58°01.07011 5°24.0891 218 1              
3700 30.06.25 NS3-B1 58°03.22857 5°25.92527 263 1              
3701 30.06.25 NS3-B1 58°04.021198 5°21.709849 263 1              
3702 30.06.25 NS3-B1 58°05.7381 5°19.88766 276 1              
3703 30.06.25 NS3-B1 58°07.553958 5°14.560251 284 1              
3704 30.06.25 NS3-B1 58°06.845878 5°12.875663 272 1              
3705 30.06.25 NS3-B1 58°05.123224 5°13.099315 248 1              
3706 30.06.25 NS3-B1 58°01.80529 5°13.6931 186 1              
3707 30.06.25 NS3-B1 58°01.367464 5°08.552845 161 1              
3708 30.06.25 NS3-B1 58°05.811029 5°09.285527 249 1              
3709 30.06.25 NS3-B1 58°10.73274 5°12.46762 300 1              
3710 01.07.25 NS3-B1 58°11.29166 5°06.088769 298 1              
3711 01.07.25 NS3-B1 58°06.62261 5°05.86613 248 1              
3712 01.07.25 NS3-B1 58°04.069187 5°04.382033 193 1              
3713 01.07.25 NS3-B1 58°02.86497 5°01.37486 153 1              
3714 01.07.25 NS3-B1 58°04.717111 5°03.236201 201 2              
3715 01.07.25 NS3-B1 58°10.220052 5°02.705792 279 1              
3716 01.07.25 NS3-B1 58°07.176218 4°57.387676 228 1              
3717 01.07.25 NS3-B1 58°03.94657 4°56.72764 155 1              
3718 01.07.25 NS3-B1 58°07.66681 4°48.06411 195 1              
3719 01.07.25 NS3-B1 58°09.26853 4°52.74893 248 1              
St nr Dato Område Latitude Longitude Dyp Video Grabb Boxcorer Bomtrål RP-slede Multicorer CTD Gr corer
3720 02.07.25 NS3-B1 58°12.35897 5°20.43271 299 1              
3721 02.07.25 NS3-B1 58°15.532896 5°07.985426 308 1              
3722 02.07.25 NS3-B1 58°17.296993 4°59.98915 304 1              
3723 02.07.25 NS3-B1 58°15.040854 4°57.856422 304 1              
3724 02.07.25 NS3-B1 58°18.153332 4°42.118149 297 1              
3725 02.07.25 NS3-B1 58°12.764682 4°47.417662 285 1              
3726 02.07.25 NS3-B1 58°11.878238 4°45.941206 269 1              
3727 02.07.25 NS3-B1 58°11.515424 4°37.922045 230 1              
3728 02.07.25 NS3-B1 58°07.54421 4°39.26886 156 1              
3729 02.07.25 NS3-B1 58°08.660365 4°33.260653 151 1              
3730 02.07.25 NS3-B1 58°10.650291 4°27.978532 150 1              
3731 02.07.25 NS3-B1 58°20.414435 4°56.157422 298 1              
3732 02.07.25 NS3-B1 58°24.443736 4°57.020081 294 1              
3733 02.07.25 NS3-B1 58°20.955505 5°03.877848 308 1              
3734 02.07.25 NS3-B1 58°23.692092 5°10.545498 314 1              
3735 02.07.25 NS3-B1 58°25.661271 5°16.983504 316 1              
3736 03.07.25 NS3-B1 58°22.242866 5°19.264648 326 1              
3737 03.07.25 NS3-B1 58°21.794409 5°24.516729 330 1              
3738 03.07.25 NS3-B1 58°20.576473 5°32.782692 336 1              
3739 03.07.25 NS3-B1 58°18.284956 5°30.92951 329 1              

Appendikstabell 2. Oversikt over prøver tatt på de ulike toktene.

3